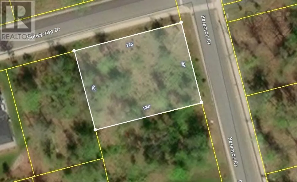
Lot 17 Bezanson Drive, Berwick, Nova Scotia B0P 1E0

Listed for:
$75,000
0 beds
0 baths
Listed 145 days ago
Lot 17 Bezanson Drive, Berwick, Nova Scotia B0P 1E0

View all 2 photos

About

From Commercial Street Berwick, turn west onto Cottage Street. Continue onto Veterans Drive toward Berwick School and Kings Mutual Century Centre. Enter Apple Valley Acres. Welcome to 'Apple Valley Acres', this now well established neighbourhood is located in the lovely Town of Berwick just off Exit 15 of the 101 Highway. This development is 20 minutes to CFB Greenwood and 1hr and 15 minutes to Halifax Stanfield International Airport. Offering all inground services, curbing, sidewalks, lots of mature trees, and are just steps to downtown, Berwick School, and The Kings Mutual Century Centre and sports plex. The Town of Berwick is situated on the valley floor, in the heart of Nova Scotia's agricultural district, surrounded by orchards, farm markets, and just minutes to the Berwick Heights Golf Course and world famous Bay of Fundy. (id:27476)

Property Highlights

MLS® Number
202501078
Type
Vacant Land
Community Name
Berwick
Ownership Type
Freehold
Land Size
0.2656 ac

Building

Fireplace Present
No
Basement Type
Basement Features
Building Heating Type
Heating Fuel
Building Cooling Type

Utilities

Water
None
Utility Sewer
Municipal sewage system

Location

Learn more about this property
Listing provided by:
MacKay Real Estate Ltd.
MLS® number:
202501078
Agent:
Allen Chase
*Indicates required field
Name is required
Email is required
Please enter a valid phone number (e.g., 416-111-1111).

Community Spotlight: Homes For sale in Your Neighborhood