Lot 1 Highway 211, Country Harbour, Nova Scotia B0J 2K0

Listed for:
$47,500
0 beds
0 baths
Listed 55 days ago
Lot 1 Highway 211, Country Harbour, Nova Scotia B0J 2K0

View all 8 photos

Learn more about this property
Listing provided by:
PG Direct Realty Ltd.
MLS® number:
202402724
Agent:
Jonathan David
*Indicates required field
Name is required
Email is required
Please enter a valid phone number (e.g., 416-111-1111).

About

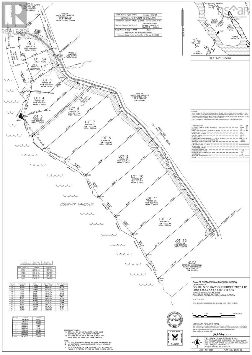
Drive on Hwy 211, the property is not far from the ferry. Visit REALTOR website for additional information. Lobster, salmon, and seals right at your fingertips, alongside eagles, lynx and otters on your own property. Situated along the Atlantic, amidst untouched nature, emerges a 'gentle' development with a few spacious and naturally preserved plots. Property Details: -Size: On average, approximately 4.87 acres (2.59 to 5.91 acres) Shoreline: On average, approximately 282.81 feet of private Atlantic coastline (213 to 308 feet) -Buildability: There are no building restrictions or mandatory construction timelines Infrastructure: The properties are fully equipped with road access, electricity, and telephone connections -Distance to Halifax (Intl. Airport): Approximately 2.5 hours by car -Distance to Antigonish: Approximately 45 minutes -The properties are purchased directly from the owner. (id:27476)

Property Highlights

MLS® Number
202402724
Type
Vacant Land
Community Name
Country Harbour
Ownership Type
Freehold
Land Size
2.79 ac

Building

Fireplace Present
No
Basement Type
Basement Features
Building Heating Type
Heating Fuel
Building Cooling Type

Utilities

Water
None
Utility Sewer
No sewage system

Location

Community Spotlight: Homes For sale in Your Neighborhood