Acreage Gospel Road, Glenmont, Nova Scotia B0P 1H0

Listed for:
$299,900
0 beds
0 baths
Listed 160 days ago
Acreage Gospel Road, Glenmont, Nova Scotia B0P 1H0

View all 1 photos

About

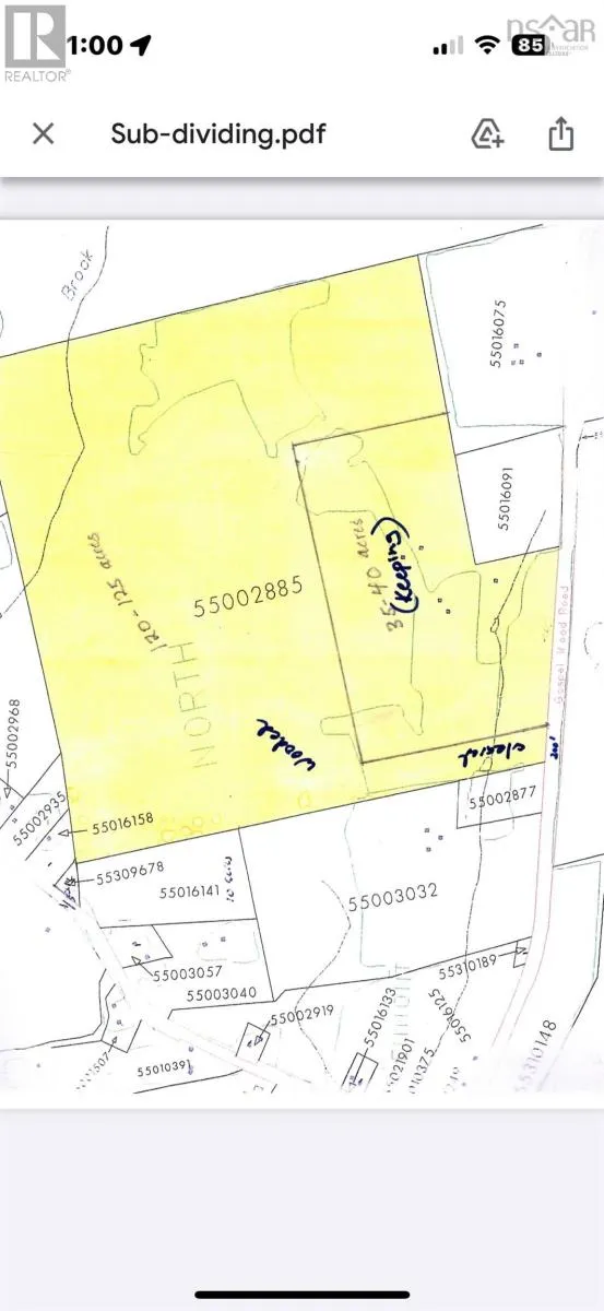
Black Hole Rd to Gospel Rd -turn right to sign on LHS (just before 1467 Gospel) see sign Nestled just moments away from town amenities and the captivating Bay of Fundy, this stunning acreage (to be subdivided from a larger parcel before closing) boasts a blend of mature forest, perennial streams, a serene pond, and pockets of cleared land along the roadside. Throughout the years, diligent efforts have been made to restore the original Acadian Forest species, resulting in a flourishing ecosystem teeming with wildlife. Both the wooded and cleared sections hold notable certifications; the wooded area was once certified by the Forest Stewardship Council, while the cleared portion earned an organic certification. With no chemical treatments for over two decades, this property stands as a rare and invaluable asset for future generations to cherish. (id:27476)

Property Highlights

MLS® Number
202404211
Type
Vacant Land
Community Name
Glenmont
Ownership Type
Freehold
Land Size
120 ac

Building

Fireplace Present
No
Basement Type
Basement Features
Building Heating Type
Heating Fuel
Building Cooling Type

Utilities

Water
None
Utility Sewer
No sewage system

Location

Learn more about this property
Listing provided by:
Keller Williams Select Realty (Kentville)
MLS® number:
202404211
Agent:
Tammy Hines
*Indicates required field
Name is required
Email is required
Please enter a valid phone number (e.g., 416-111-1111).