Lot 2 Butler Road, Lake Egmont, Nova Scotia B0N 2H0

Listed for:
$34,900
0 beds
0 baths
Listed 75 days ago
Lot 2 Butler Road, Lake Egmont, Nova Scotia B0N 2H0

View all 3 photos

About

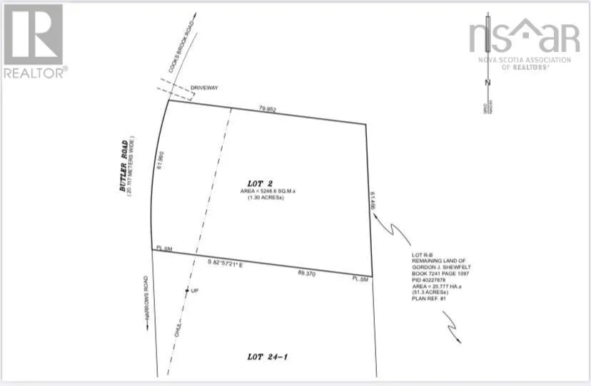
Coming from Elmsdale to Highway 224 to Cooks Brook, turn right onto Cooks Brook Rd, slight right onto Butler Rd, Lake Egmont Road East Looking to live in the country? Want the kids to grow up fishing and away from the city - consider Butler Road, Lake Egmont NS. Approx. 1.3 acre lot according to sketch found under documents prepared by Allison Land Surveys. Lot has a smooth gravel road, power at the roadside, and is treed/level lot. Cell service available and Bell Fibre 150 internet. This lot would be a good option for your new home or cottage - close to Lake Egmont, Cooks Brook, 20 minutes from Elmsdale and only 1 hour from Halifax. The lot is to be subdivided at the "buyers" cost prior to closing. All costs to subdivide and survey the lot will be handled by the buyer at the buyers expense (with owners approval for the subdivision) prior to closing, and new PID to be assigned. (id:27476)

Property Highlights

MLS® Number
202313694
Type
Vacant Land
Community Name
Lake Egmont
Ownership Type
Freehold
Land Size
1.2969 ac

Building

Fireplace Present
No
Basement Type
Basement Features
Building Heating Type
Heating Fuel
Building Cooling Type

Location

Learn more about this property
Listing provided by:
Hants Realty Ltd.
MLS® number:
202313694
Agent:
Matthew Ward
*Indicates required field
Name is required
Email is required
Please enter a valid phone number (e.g., 416-111-1111).

Community Spotlight: Homes For sale in Your Neighborhood