1 Highway 289 Highway, Middle Stewiacke, Nova Scotia B0N 1C0

Listed for:
$49,900
0 beds
0 baths
Listed 7 days ago
1 Highway 289 Highway, Middle Stewiacke, Nova Scotia B0N 1C0

View all 6 photos

About

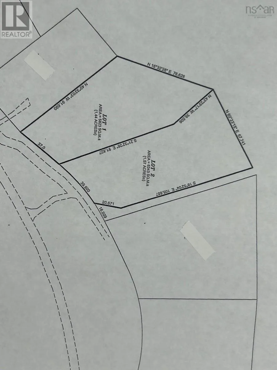
From Brookfield, continue on Highway 289 to Middle Stewiacke. Property on left between civic # 1919 and 1957 Hwy 289. Discover a peaceful natural setting just 8 minutes to Brookfield with convenient access to Highway 102. Surrounded by nature, it's the perfect setting for a new home or a relaxing cottage escape that is still close to amenities. Outdoor enthusiasts will love being just minutes from the Stewiacke River, where you can enjoy canoeing, kayaking, fishing and swimming. Come take a look and explore the possibilities! PID 20481156 to be subdivided before closing and assigned a new PID. (id:27476)

Property Highlights

MLS® Number
202603634
Type
Vacant Land
Community Name
Middle Stewiacke
Ownership Type
Freehold
Land Size
1.44 ac

Building

Fireplace Present
No
Basement Type
Basement Features
Building Heating Type
Heating Fuel
Building Cooling Type

Utilities

Water
None
Utility Sewer
No sewage system

Location

Learn more about this property
Listing provided by:
Coldwell Banker Open Door Realty Ltd.
MLS® number:
202603634
Agent:
Cindy White
*Indicates required field
Name is required
Email is required
Please enter a valid phone number (e.g., 416-111-1111).