Lot Highway 201, Moschelle, Nova Scotia B0S 1A0

Listed for:
$59,000
0 beds
0 baths
Listed 76 days ago
Lot Highway 201, Moschelle, Nova Scotia B0S 1A0

View all 8 photos

About

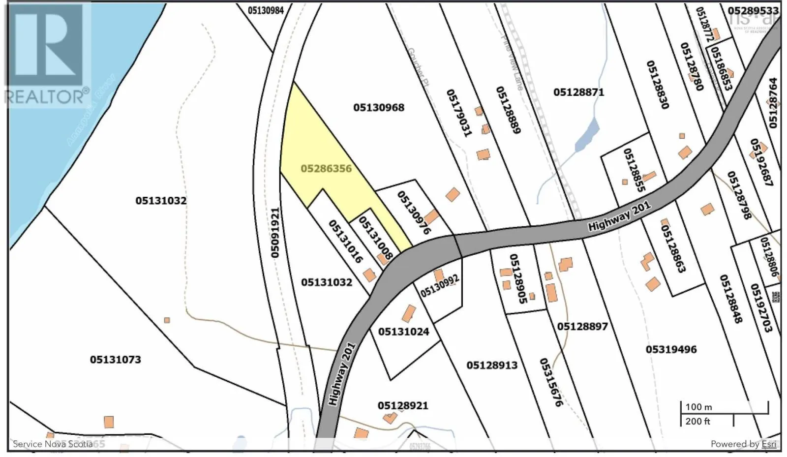
The property is accessed from a public offshoot of Highway 201. The offshoot serves 3 properties. This 2.3-acre parcel offers a balanced mix of open field and mature trees, with cleared space suitable for development and a natural tree line that provides privacy. The northwest-facing orientation captures evening light, with views across the Harvest Moon Trail toward an established apple orchard. Zoned Mixed Use, the property allows flexibility for residential, small-scale agricultural, or live/work uses. It is a setting that can adapt as your plans evolve. The land directly abuts the Harvest Moon Trail, creating a rare connection between rural space and town life. Follow the scenic route into Annapolis Royal for coffee, the renowned farmers market, galleries, waterfront walks, and evening performances at Kings Theatre, all within easy reach. Located along Highway 201 in Moschelle, just minutes from Annapolis Royal, this parcel brings together open land, orchard views, sunset exposure, mixed-use zoning, and direct trail access in one cohesive offering. The seller believes the lot may be larger than the recorded size; however, no survey is available, and the property is being sold as described. (id:27476)

Property Highlights

MLS® Number
202603568
Type
Vacant Land
Community Name
Moschelle
Ownership Type
Freehold
Land Size
2.3 ac

Building

Fireplace Present
No
Basement Type
Basement Features
Building Heating Type
Heating Fuel
Building Cooling Type

Utilities

Water
None
Utility Sewer
No sewage system

Location

Learn more about this property
Listing provided by:
RE/MAX Banner Real Estate(Annapolis Royal)
MLS® number:
202603568
Agent:
Laura Boyko
*Indicates required field
Name is required
Email is required
Please enter a valid phone number (e.g., 416-111-1111).