River Road, Plymouth, Nova Scotia B2H 5C5

Listed for:
$169,000
0 beds
0 baths
Listed 57 days ago
River Road, Plymouth, Nova Scotia B2H 5C5

View all 11 photos

Learn more about this property
Listing provided by:
Royal LePage Atlantic(Stellarton)
MLS® number:
202516690
Agent:
Amy Perry
*Indicates required field
Name is required
Email is required
Please enter a valid phone number (e.g., 416-111-1111).

About

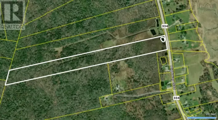
Property located next to Civic # 1841 River Road go up the road just past Plymouth Fire Hall and follow it approx 2.5 kms 40 Acres of Riverfront Bliss Minutes from New Glasgow! Welcome to your own slice of nature! This wooded 40-acre property offers approx 790 feet +/- of serene river frontage and is located just 10 minutes from New Glasgowclose enough for convenience, yet far enough for peace and privacy 790 ft +/- of beautiful river frontage Mature hardwood & softwood mix Trail in place from road to river Excellent potential for a private retreat or hobby farm Camp, fish, hike, or just unwind in nature Build your dream home near the road and escape to your riverside campsite Ideal for glamping setups or off-grid adventures Quiet, natural setting with abundant wildlife Whether you're dreaming of a rustic getaway, a mini homestead, or a year-round escape with room to roamthis property is your canvas. Tranquil rural location Only 10 mins to shopping, restaurants, and amenities in New Glasgow (id:27476)

Property Highlights

MLS® Number
202516690
Type
Vacant Land
Community Name
Plymouth
Ownership Type
Freehold
Land Size
40 ac

Building

Fireplace Present
No
Basement Type
Basement Features
Building Heating Type
Heating Fuel
Building Cooling Type

Utilities

Water
None
Utility Sewer
No sewage system

Location

Community Spotlight: Homes For sale in Your Neighborhood