0 No. Reserve Street, Reserve Mines, Nova Scotia B1E 1K6

Listed for:
$55,000
0 beds
0 baths
Listed 75 days ago
0 No. Reserve Street, Reserve Mines, Nova Scotia B1E 1K6

View all 4 photos

About

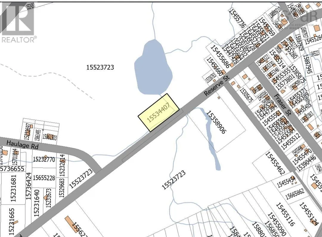
Drive East to Glace Bay, Property can be found just beyond haulage road in Reserve Mines. Discover the potential of this expansive 1.03 acre parcel ideally situated on Reserve Street, boasting over 300 feet of road frontage. With access to power, water, and sewer, this versatile lot is primed for development. Zoned as a Mixed Use Corridor, offering unparalleled flexibility for residential or commercial ventures such as duplexes, service-based businesses, and more. Conveniently located in the heart of Reserve Mines and Glace Bay, ensuring both convenience and connectivity. Don't miss out on this exceptional opportunity. (id:27476)

Property Highlights

MLS® Number
202406822
Type
Vacant Land
Community Name
Reserve Mines
Ownership Type
Freehold
Land Size
1.03 ac

Building

Fireplace Present
No
Basement Type
Basement Features
Building Heating Type
Heating Fuel
Building Cooling Type

Utilities

Water
Municipal water
Utility Sewer
Municipal sewage system

Location

Learn more about this property
Listing provided by:
RE/MAX Park Place Inc.
MLS® number:
202406822
Agent:
Keith Buckland
*Indicates required field
Name is required
Email is required
Please enter a valid phone number (e.g., 416-111-1111).

Community Spotlight: Homes For sale in Your Neighborhood