South Cove Road, South Cove, Nova Scotia B0E 1T0

Listed for:
$99,900
0 beds
0 baths
Listed 5 days ago
South Cove Road, South Cove, Nova Scotia B0E 1T0

View all 20 photos

Learn more about this property
Listing provided by:
RE/MAX Park Place Inc.
MLS® number:
202508087
Agent:
Jenessa Macinnis
*Indicates required field
Name is required
Email is required
Please enter a valid phone number (e.g., 416-111-1111).

About

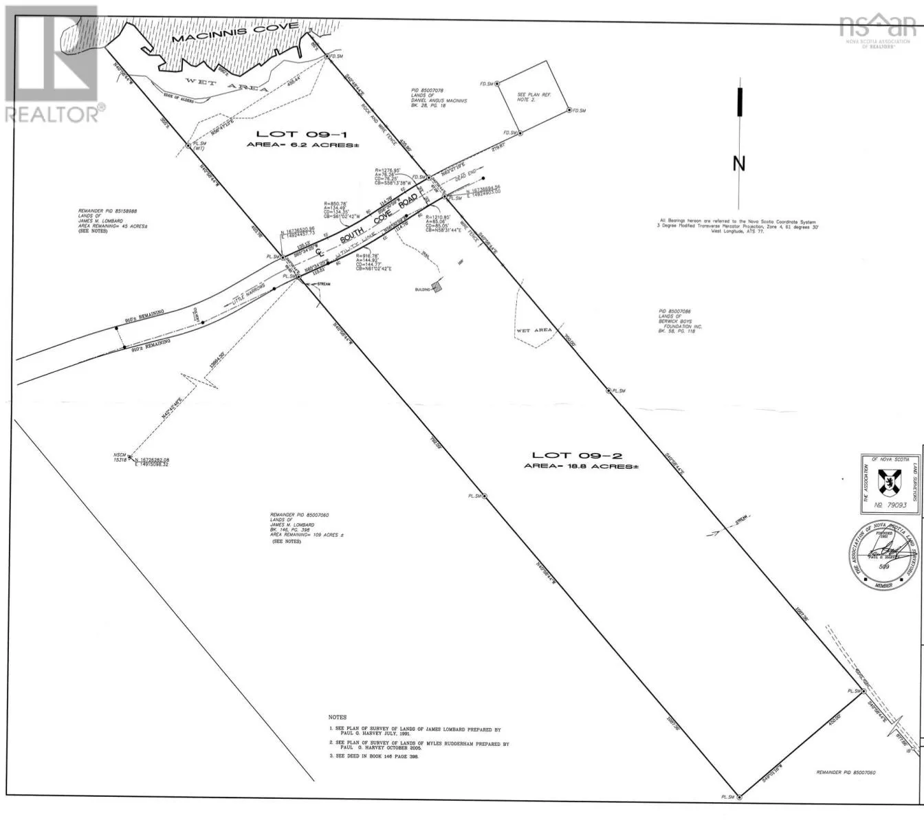
Property before Civics 943 & 941. South Cove Rd to Birch Point Rd. 25 ACRES of Land with 900+- FEET of WATERFRONT over two parcels at South Cove. This property has been SURVEYED. Intersected by Birch Grove Rd., one side of the land is 18+ acres of LEVEL treed property with a slight slope to the back where you can see some stunning views of the water. Where previously there had been a driveway cut and land cleared, young growth has come in. Some clearing would open up the area and see the view or choose a building site on the second waterfront property with 6+ acres of land. VIEWS can be had from many sites which will look over the cove and out to the Bras d'Or Lakes. Road is municipality maintained year-round and power is available at the roadside. This 25 acre of land is an amazing opportunity to own acreage & waterfront in Cape Breton!! You will not want to miss out on this property. (id:27476)

Property Highlights

MLS® Number
202508087
Type
Vacant Land
Community Name
South Cove
Ownership Type
Freehold
Land Size
25 ac

Building

Fireplace Present
No
Basement Type
Basement Features
Building Heating Type
Heating Fuel
Building Cooling Type

Utilities

Utility Sewer
No sewage system

Location