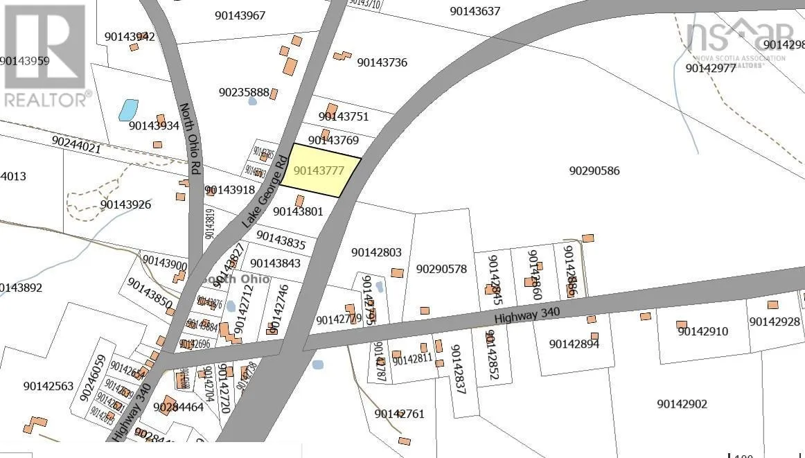
Lot Lake George Road, South Ohio, Nova Scotia B5A 5M9

Listed for:
$29,900
0 beds
0 baths
Listed 5 days ago
Lot Lake George Road, South Ohio, Nova Scotia B5A 5M9

View all 2 photos

Learn more about this property
Listing provided by:
The Real Estate Store
MLS® number:
202511360
Agent:
Mike Randall
*Indicates required field
Name is required
Email is required
Please enter a valid phone number (e.g., 416-111-1111).

About

North from Yarmouth on Hwy #1 to Hwy 340 to South Ohio. turn left on Lake George Rd signed next to civic # 78 Are you looking for a reasonably priced lot to develop This lot located on Lake George Rd may be something to consider. The 1.13-acre lot has frontage on Lake George Rd and back on the former rail line which now serves as a recreation trail. Municipal may be water is accessible if required. The driveway is partially complete and a preliminary septic approval is in place. If you are considering building and want to be in the South Ohio area this may be a possibility to consider. Stop by the land to see if this is for you. (id:27476)

Property Highlights

MLS® Number
202511360
Type
Vacant Land
Community Name
South Ohio
Ownership Type
Freehold
Land Size
1.31 ac

Building

Fireplace Present
No
Basement Type
Basement Features
Building Heating Type
Heating Fuel
Building Cooling Type

Utilities

Utility Sewer
No sewage system

Location