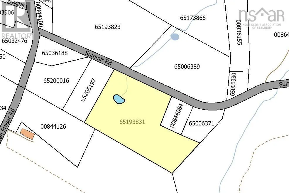
10 Acres Summit Road, Sylvester, Nova Scotia B0K 2A0

Listed for:
$150,000
0 beds
0 baths
Listed 156 days ago
10 Acres Summit Road, Sylvester, Nova Scotia B0K 2A0

View all 5 photos

About

Turn off the Alma road, first road on left past Douglas Road turn left onto Summit the property is on your left with For Sale Sign 10 Acres with Pond - Summit Road (Just off Alma Road) Opportunity meets versatility on this 10-acre parcel with subdivision potential in a highly convenient location. With generous road frontage and a desirable mix of open and wooded land, this property offers optionsnow and into the future. Subdivision-Friendly Layout Size, frontage, and configuration make this parcel well-suited for exploring future subdivision (subject to approvals). Partially Cleared & Wooded Open areas for building or development, balanced with mature trees for privacy and natural appeal. Pond on the Property A rare and valuable feature that adds character, recreation, and visual interest. Prime Location Just down the road from Northumberland Regional High School and minutes to town amenities. Flexible Use Ideal for a private homestead, hobby farm, opportunity with development in mind. With utilities nearby and a peaceful setting that still keeps you close to everything, this is a standout acreage for buyers thinking both lifestyle and long-term value. A chance to secure land with real future potential. (id:27476)

Property Highlights

MLS® Number
202522158
Type
Vacant Land
Community Name
Sylvester
Ownership Type
Freehold
Land Size
10 ac

Building

Fireplace Present
No
Basement Type
Basement Features
Building Heating Type
Heating Fuel
Building Cooling Type

Utilities

Water
None
Utility Sewer
No sewage system

Location

Learn more about this property
Listing provided by:
EXP Realty of Canada Inc.
MLS® number:
202522158
Agent:
Amy Perry
*Indicates required field
Name is required
Email is required
Please enter a valid phone number (e.g., 416-111-1111).