Florence Lane, Wellington, Nova Scotia B2T 1B5

Listed for:
$649,000
0 beds
0 baths
Listed 58 days ago
Florence Lane, Wellington, Nova Scotia B2T 1B5

View all 7 photos

About

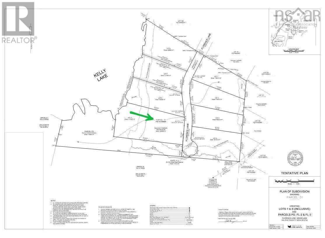
Hwy 2 to Brookhill Dr, right on Hartland Dr, right on Florence Ln Presenting a remarkable opportunity to acquire and develop multiple (8) exceptional lots or build your dream lakefront home in the highly desirable Brookhill Estates subdivision, nestled within the vibrant Grand Lake community. Just 3 minutes off the highway this expansive 25.9-acre parcel boasts an impressive 1491 ft of pristine water frontage on Kelly Lake, offering stunning settings and endless potential. Ideally situated along Highway 2, between Fall River and Enfield, at the picturesque end of Florence Lane. (id:27476)

Property Highlights

MLS® Number
202602951
Type
Vacant Land
Community Name
Wellington
Ownership Type
Freehold
Land Size
25.9 ac

Building

Fireplace Present
No
Basement Type
Basement Features
Building Heating Type
Heating Fuel
Building Cooling Type

Utilities

Water
None
Utility Sewer
No sewage system

Location

Learn more about this property
Listing provided by:
Red Door Realty
MLS® number:
202602951
Agent:
Ethan Michaels
*Indicates required field
Name is required
Email is required
Please enter a valid phone number (e.g., 416-111-1111).

Community Spotlight: Homes For sale in Your Neighborhood