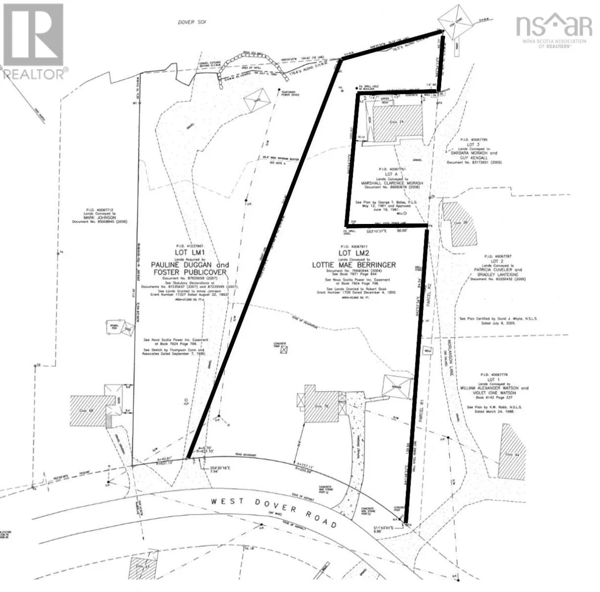
78 West Dover Road, West Dover, Nova Scotia B3Z 3S7

Listed for:
$695,000
2 beds
1 baths
Listed 10 days ago
House for rent: 78 West Dover Road, West Dover, Nova Scotia B3Z 3S7

View all 49 photos

Learn more about this property
Listing provided by:
Exit Realty Metro
MLS® number:
202527403
Agent:
Kelly Smith
*Indicates required field
Name is required
Email is required
Please enter a valid phone number (e.g., 416-111-1111).

About

Prospect Road to West Dover Oceanfront Living Meets Entrepreneurial Opportunity Just 5 Minutes from Peggys Cove! Set in a sheltered bay with deep-water frontage, this beautifully renovated oceanfront property offers endless potential whether you dream of living by the sea, running your own business, or both. Just five minutes from world-famous Peggys Cove and less than 30 minutes to Tantallon or Bayers Lake, this is a rare find in an unbeatable location. Situated on 0.75 acres, the property includes a large backfilled field area offering space for additional outbuildings or even another home, providing incredible flexibility for expansion or investment. The home was fully redone inside and out in 2017, including plumbing, electrical, insulation, drywall, metal roof, siding, septic tank, inlet pipe, and more. This home goes over and above to ensure maximum energy efficiency and endless cozy evenings with its spray foam and blown in insulation, ductless heat pump, propane stove, and outlet for a generator - not to mention the custom fire pit area with seating for all of your friends and family. Two impressive 30 x 20 garages, both insulated and drywalled, built in 2019 and 2021 each with its own power meter and 110/220V outlets. One has 8 ceilings, the other 10, making them ideal for workshops, storage, or commercial use. Outdoors, youll find everything ready for coastal living or income generation: a newer crib dock and launch (4 years old), RV/trailer pad with electric and sewer hookups, and three solar-powered waterfront bunkies perfect for summer rentals or tourist stays. Zoned to allow for multiple uses allowing the new owner to capitalize on the major tourism aspect of this community, this property is brimming with opportunity. Whether youre seeking a home with income potential, an investment property, or a place to launch your coastal business dreams, this gem delivers. (id:27476)

Property Highlights

MLS® Number
202527403
Type
Single Family
Community Name
West Dover
Ownership Type
Freehold
Land Size
0.7541 ac

Building

Building Type
House
Storeys
1.00
Square Footage
680 sqft
Bathrooms Total
1
Bedrooms Above Ground
2
Bedrooms Total
2
Amenities
Park, Place of Worship
Exterior Finish
Vinyl
Fireplace Present
Yes
Basement Type
Unknown
Basement Features
Building Heating Type
Heating Fuel
Building Cooling Type
Heat Pump

Utilities

Water
Drilled Well
Utility Sewer
Septic System

Room Layout

Kitchen
Main level
9.7x12.10
Living room
Main level
12.8x15
Laundry / Bath
Main level
9.5x4.8
Bedroom
Main level
8.1x13.6
Bedroom
Main level
7.10x10.6

Location