Car Lot/office - 535 Bayfield Street, Barrie, Ontario L4M 4Z9

Listed for:
$2,500
0 beds
0 baths
Listed 141 days ago
Car Lot/office - 535 Bayfield Street, Barrie, Ontario L4M 4Z9

View all 3 photos

About

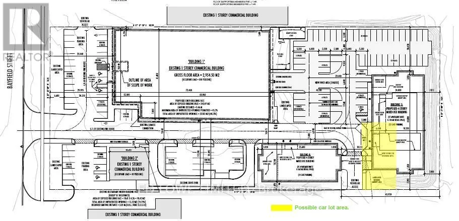
Bayfield St At Hamner 300 s.f. Space available for small office for car dealer or car rental business in the building at 535 Bayfield Street plus reserved parking area at the back of the building for cars - ideal for car rental or new or used car sales office and parking. (id:27476)

Property Highlights

MLS® Number
S11959498
Type
Retail
Community Name
Bayfield

Building

Square Footage
300 sqft
Amenities
Highway, Public Transit
Fireplace Present
No
Basement Type
Basement Features
Building Heating Type
Forced air
Heating Fuel
Natural gas
Building Cooling Type
Fully air conditioned

Utilities

Water
Municipal water

Location

Learn more about this property
More info:
Sutton Group Innovative Realty Inc.
MLS® number:
S11959498
Agent:
Darya Strilyana
Phone:
*Indicates required field
Name is required
Email is required
Please enter a valid phone number (e.g., 416-111-1111).