420 Welham Road, Barrie, Ontario L4N 8Z2

Listed for:
$12
0 beds
0 baths
Listed 112 days ago
420 Welham Road, Barrie, Ontario L4N 8Z2

View all 2 photos

About

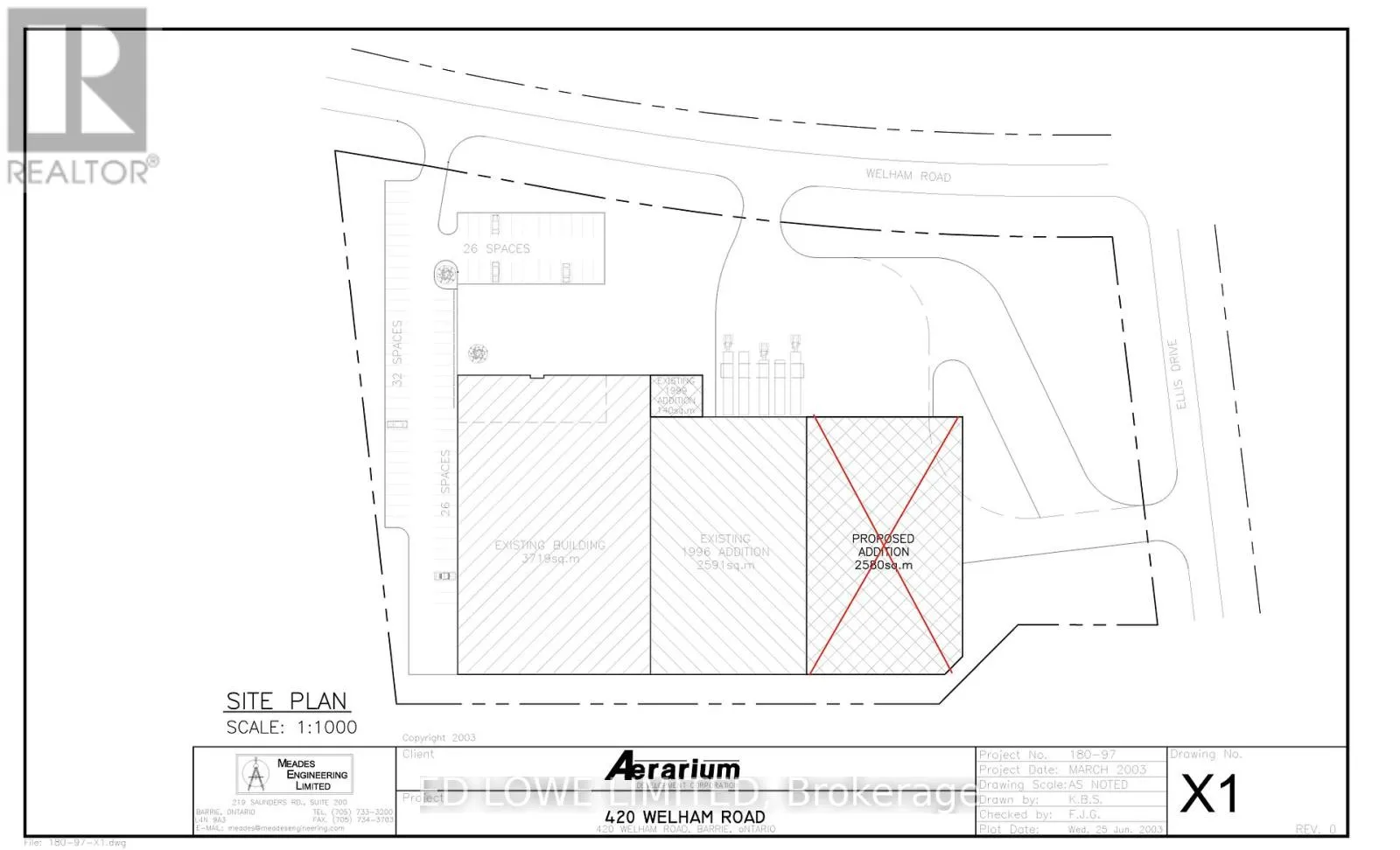
Cross Streets: Welham/Mapleview. ** Directions: Hwy 400 to Mapleview Dr East to Welham Rd North of Ellis Dr. 73,985 s.f. of prime Industrial building for Lease. This single-tenant building offers excellent functionality and flexibility for a wide range of industrial uses. Building equipped with skylights. GI Zoning permits external storage providing valuable operational flexibility. Tenant's responsible for all maintenance, insurance, property taxes, utilities. $12.00/s.f./yr for building. Additional extra lot (approx 2 acres) available as part of Lease (if interested) the whole property lease rate is $14.00/s.f./yr. LA related to LL (id:27476)

Property Highlights

MLS® Number
S12630990
Type
Industrial
Community Name
400 East

Building

Square Footage
73984 sqft
Fireplace Present
No
Basement Type
Basement Features
Building Heating Type
Radiant heat
Heating Fuel
Building Cooling Type
Partially air conditioned

Utilities

Water
Municipal water

Location

Learn more about this property
More info:
Sutton Group Innovative Realty Inc.
MLS® number:
S12630990
Agent:
Darya Strilyana
Phone:
*Indicates required field
Name is required
Email is required
Please enter a valid phone number (e.g., 416-111-1111).