2 - 544 Bayfield Street, Barrie, Ontario L4M 5A2

Listed for:
$17
0 beds
0 baths
Listed 54 days ago
2 - 544 Bayfield Street, Barrie, Ontario L4M 5A2

View all 3 photos

About

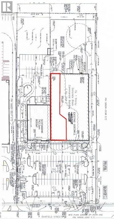
400 North to Bayfield St 7,506 sq. ft. retail unit for lease in a high-profile neighbourhood shopping centre on Bayfield Streets' Golden Mile. Exceptional visibility with strong street exposure and ample on-site parking. Ideally positioned between Scotiabank and PetSmart, benefiting from constant foot and vehicle traffic. Located in a high-traffic plaza with excellent access and surrounding national tenants. (id:27476)

Property Highlights

MLS® Number
S12767276
Type
Retail
Community Name
Bayfield
Land Size
250 x 600 FT

Building

Square Footage
7506 sqft
Amenities
Highway, Recreation
Fireplace Present
No
Basement Type
Basement Features
Building Heating Type
Forced air
Heating Fuel
Natural gas
Building Cooling Type
Fully air conditioned

Utilities

Water
Municipal water

Location

Learn more about this property
More info:
Sutton Group Innovative Realty Inc.
MLS® number:
S12767276
Agent:
Darya Strilyana
Phone:
*Indicates required field
Name is required
Email is required
Please enter a valid phone number (e.g., 416-111-1111).

Street Spotlight - For lease