Beside 71 Stanley Street, Belleville, Ontario K8N 3Z8

Listed for:
$195,000
0 beds
0 baths
Listed 50 days ago
Beside 71 Stanley Street, Belleville, Ontario K8N 3Z8

View all 5 photos

About

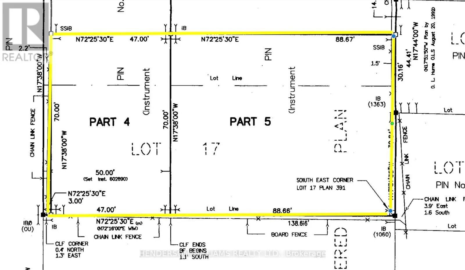
Cross Streets: Pine/Stanley. ** Directions: Victoria to Golfdale turn left on Pine and left onto Stanley. An exceptional opportunity to secure one of only a few currently on market R1-zoned buildable city lots in Belleville's east end neighbourhoods. This property is well suited for a thoughtfully designed single-family home or multi-family. Located just minutes from Highway 401, the property provides seamless access for commuters, with Toronto approximately 2.5 hours west. The Hospital, shopping, dining, and everyday amenities are close by. This property represents a compelling blend of location, zoning, and growth potential. Opportunities like this are increasingly rare. Property is located beside 71 Stanley Street. (id:27476)

Property Highlights

MLS® Number
X12911536
Type
Vacant Land
Community Name
Belleville Ward
Land Size
71.09 x 131 FT|under 1/2 acre

Building

Fireplace Present
No
Basement Type
Basement Features
Building Heating Type
Heating Fuel
Building Cooling Type

Location

Learn more about this property
Listing provided by:
HENDERSON WILLIAMS REALTY LTD.
MLS® number:
X12911536
Agent:
Ann Cooper
*Indicates required field
Name is required
Email is required
Please enter a valid phone number (e.g., 416-111-1111).

Community Spotlight: Homes For sale in Your Neighborhood