206 Youngfox Rd, Blind River, Ontario P0R 1B0

Listed for:
$35,000
0 beds
0 baths
Listed 13 days ago
206 Youngfox Rd, Blind River, Ontario P0R 1B0

View all 5 photos

Learn more about this property
Listing provided by:
Century 21 Choice Realty Inc.
MLS® number:
SM251075
Agent:
Tiffany Rogers
*Indicates required field
Name is required
Email is required
Please enter a valid phone number (e.g., 416-111-1111).

About

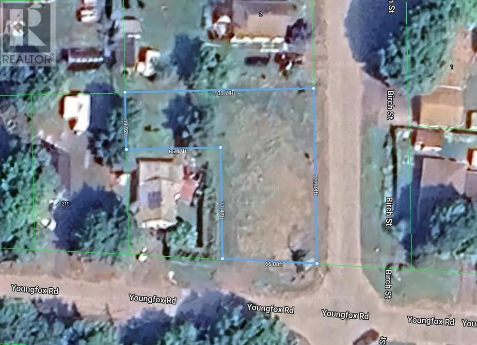
Building lot on the corner of Youngfox Rd and Birch St. This lot is L-shaped and offers municipal water and sewer services. Hydro and Gas is also available to the lot. The lot is cleared, flat and ready to go! (id:27476)

Property Highlights

MLS® Number
SM251075
Type
Vacant Land
Community Name
Blind River
Land Size
0.26 ac|under 1/2 acre

Building

Fireplace Present
No
Basement Type
Basement Features
Building Heating Type
Heating Fuel
Building Cooling Type

Utilities

Water
Municipal water
Utility Sewer
Municipal sewage system

Location

Community Spotlight: Homes For sale in Your Neighborhood