100 Interlaken Court, Blue Mountains, Ontario L9Y 0Z5

Listed for:
$899,000
0 beds
0 baths
Listed 161 days ago
100 Interlaken Court, Blue Mountains, Ontario L9Y 0Z5

View all 11 photos

About

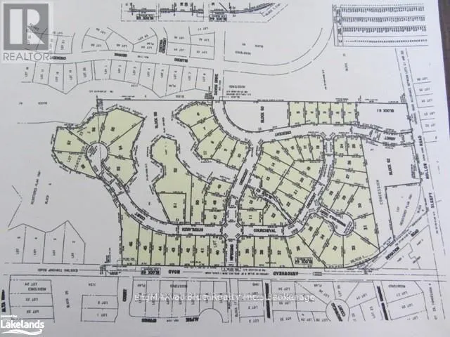
Cross Streets: Arrowhead & Nippising. ** Directions: Arrowhead Rd. to Nippising Cres. ( Directly across from Alpine Ski Club parking lot) to first left on Interlaken, first lot on left. Rarely Offered!! This lot is situated DIRECTLY across from Alpine Ski Club and is also walking distance to Craigleith Ski Club. Build your Dream Home / Chalet situated on a Cul de Sac amongst many neighboring quality custom built homes. All Services are located at the lot line, including Power, Natural Gas, Municipal Water and Sewers. Enjoy all the nearby amenities such as Northlands Beach, Blue Mountain Village, Biking and Hiking Trails and more. (id:27476)

Property Highlights

MLS® Number
X12612686
Type
Vacant Land
Community Name
Blue Mountains
Land Size
92 x 177 FT|under 1/2 acre

Building

Fireplace Present
No
Basement Type
Basement Features
Building Heating Type
Heating Fuel
Building Cooling Type

Location

Learn more about this property
Listing provided by:
Engel & Volkers Toronto Central
MLS® number:
X12612686
Agent:
Jamie Hibbard
*Indicates required field
Name is required
Email is required
Please enter a valid phone number (e.g., 416-111-1111).

Community Spotlight: Homes For sale in Your Neighborhood