77775 Norma Street, Bluewater, Ontario N0M 1G0

Listed for:
$629,000
0 beds
0 baths
Listed 72 days ago
77775 Norma Street, Bluewater, Ontario N0M 1G0

View all 11 photos

Learn more about this property
Listing provided by:
Royal LePage Heartland Realty
MLS® number:
X12385394
Agent:
Shana Barnim
*Indicates required field
Name is required
Email is required
Please enter a valid phone number (e.g., 416-111-1111).

About

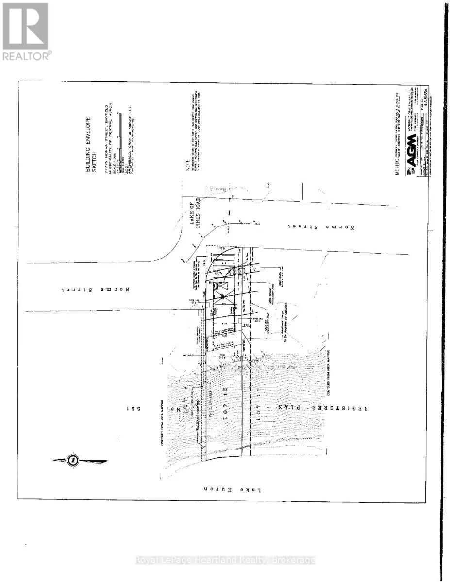
Cross Streets: Lane of Pines and Norma St. ** Directions: From Bluewater Highway (#21 HWY) turn west onto Lane of Pines and continue west to Norma St. Property at the end. Rare Lakefront Building Lot provides an exceptional opportunity to own a build-ready, lakefront lot just north of the charming Village of Bayfield. This premium vacant parcel offers panoramic, unobstructed views of Lake Huron legendary sunsets and access to crystal-clear waters for swimming, boating and beachside relaxation. The lot has a completed Geotechnical slope assessment confirming slope stability, an established building envelope of approx. 32' wide x 24' deep x (29' high - municipal by-law), Waterloo bio-filteration septic system installed, current survey, an armour stone erosion wall installed at the toe of the bank and beach access on Norma Street via the municipal access or install your own private set of stairs during the build. Natural gas, municipal water and cable/high speed internet are all at the lot line. Surrounding amenities include the Bayfield Marina, golf courses, boutique shopping and exquisite dining experiences in the historic Village of Bayfield. Whether you're planning a serene retirement retreat or a modern lakeside getaway, this lot offers a rare combination of natural beauty, convenience, and readiness to build. (id:27476)

Property Highlights

MLS® Number
X12385394
Type
Vacant Land
Community Name
Bayfield
Land Size
50.92 x 192 FT
Parking Space Total
4

Building

Amenities
Beach, Golf Nearby
Fireplace Present
No
Basement Type
Basement Features
Building Heating Type
Heating Fuel
Building Cooling Type

Utilities

Water
Municipal water
Utility Sewer
Septic System

Location

Community Spotlight: Homes For sale in Your Neighborhood