Pt Lt 12 Lincoln Street, Cambridge, Ontario N1R 1X3

Listed for:
$299,000
0 beds
0 baths
Listed 12 days ago
Pt Lt 12 Lincoln Street, Cambridge, Ontario N1R 1X3

View all 9 photos

About

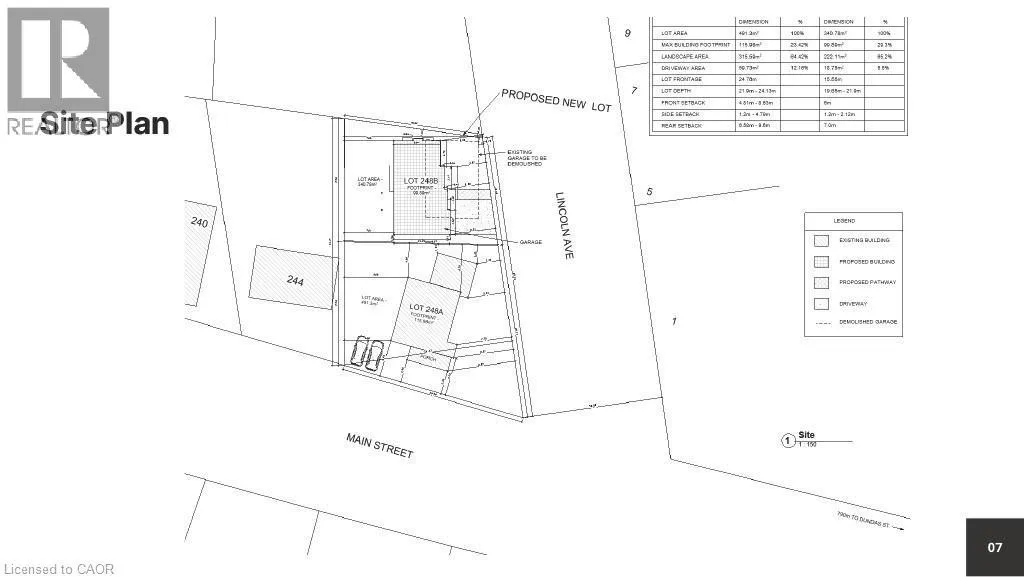
Main St. to Lincoln St. Prime R4 Low Density Residential-zoned land opportunity fronting on Lincoln Avenue in the heart of east Galt. This parcel is being offered for sale separately, with property taxes to be determined. A land severance application is currently in progress, intended to create a standalone lot. The triplex building is not included in this sale and is being offered separately through MLS, however both properties may be purchased together under separate agreement. This listing pertains only to the land, which currently includes a detached garage. The R4 zoning permits a range of residential uses, offering potential for infill development, redevelopment, or land repositioning, subject to municipal approvals. Excellent location close to downtown, transit, parks, shopping, and schools. All severance and development details are subject to municipal approval. (id:27476)

Property Highlights

MLS® Number
40801259
Type
Vacant Land
Ownership Type
Freehold
Land Size
under 1/2 acre

Building

Amenities
Public Transit, Schools
Fireplace Present
No
Basement Type
None
Basement Features
Building Heating Type
Heating Fuel
Building Cooling Type

Utilities

Water
None
Utility Sewer
Municipal sewage system

Location

Learn more about this property
Listing provided by:
HomeLife Power Realty Inc.
MLS® number:
40801259
Agent:
Dalibor Radulovic
*Indicates required field
Name is required
Email is required
Please enter a valid phone number (e.g., 416-111-1111).