14 Greengage Road, Clearview, Ontario L0M 1N0

Listed for:
$1,995,000
0 beds
0 baths
Listed 66 days ago
14 Greengage Road, Clearview, Ontario L0M 1N0

View all 5 photos

Learn more about this property
Listing provided by:
RIGHT AT HOME REALTY INVESTMENTS GROUP
MLS® number:
S12404236
Agent:
Anatoly Blokhin
*Indicates required field
Name is required
Email is required
Please enter a valid phone number (e.g., 416-111-1111).

About

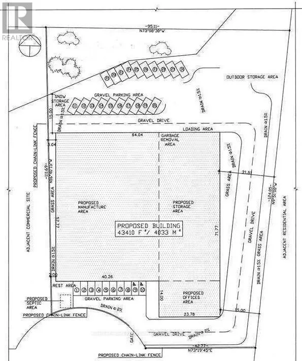
Country Rd. 9 / Switzer North 2.56 Acres Of Land With Industrial Zoning Includes Food Processing Establishment, Bakeries, Dairy Products Plant, Wineries, Breweries, Warehouses, Assembly Halls, Towing Compound, Adult Entertainment Business, Sawmill, Lumber Yard And More. Pre-Consultation Schematic Building Plan Up To 43,000 Sq Ft., Height Of Principal Building 18 M. Municipal Water, Hydro And Gas On Line! Short Access To Hwy 400! Close To Barrie! / Attention! 0.14 Acres Of Land Are Environment Protection Restrictions Do Not Allow Construction, Outside Storage or Parking, BLUE COLOUR In The Picture #1/. (id:27476)

Property Highlights

MLS® Number
S12404236
Type
Industrial
Community Name
New Lowell
Land Size
2.56 ac

Building

Square Footage
3 ac
Fireplace Present
No
Basement Type
Basement Features
Building Heating Type
No heat
Heating Fuel
Building Cooling Type
None

Utilities

Water
Municipal water

Location