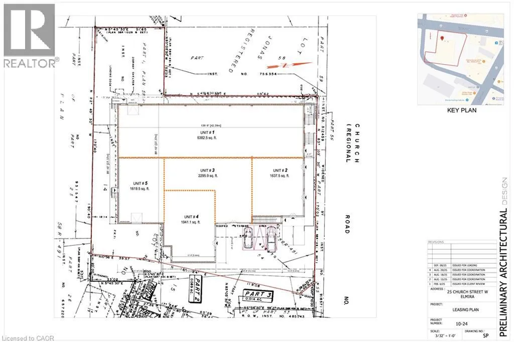
25 Church Street W Unit# 2, Elmira, Ontario N3B 1M2

Listed for:
$24
0 beds
0 baths
Listed 256 days ago
25 Church Street W Unit# 2, Elmira, Ontario N3B 1M2

View all 3 photos

About

Church Street between Arthur & Maple Prime Commercial Lease Opportunity in Elmira An exciting opportunity is available in one of Elmira’s most visible and high-traffic locations. This commercial property, zoned C1 for maximum flexibility, is currently undergoing modern renovations that will transform the space into a fresh and contemporary environment. The upgrades are designed to enhance both the interior and exterior, creating an inviting setting for retail, office, restaurant, fitness, medical, and a wide range of professional uses. A key advantage of this property is that it offers multiple unit sizes and configurations, making it adaptable to businesses both large and small. Its excellent street exposure provides outstanding visibility, while the thriving commercial corridor ensures consistent traffic and a supportive business environment. Leasing now allows tenants to secure space in this prime location as the renovations progress, with the opportunity to select a size and layout best suited to their needs. Contact us today for full leasing details and information on the spaces currently available. (id:27476)

Property Highlights

MLS® Number
40770107
Type
Retail
Ownership Type
Freehold
Land Size
Unknown

Building

Storeys
1.00
Square Footage
1638 sqft
Exterior Finish
Concrete
Fireplace Present
No
Basement Type
None
Basement Features
Building Heating Type
Heating Fuel
Building Cooling Type

Utilities

Water
Municipal water
Utility Sewer
Municipal sewage system

Location

Learn more about this property
Listing provided by:
RE/MAX Twin City Realty Inc.
MLS® number:
40770107
Agent:
David Schooley
*Indicates required field
Name is required
Email is required
Please enter a valid phone number (e.g., 416-111-1111).

Street Spotlight - For lease