0-4496 Dominion Road, Fort Erie, Ontario L2A 1H3

Listed for:
$1,500,000
0 beds
0 baths
Listed 55 days ago
0-4496 Dominion Road, Fort Erie, Ontario L2A 1H3

View all 5 photos

About

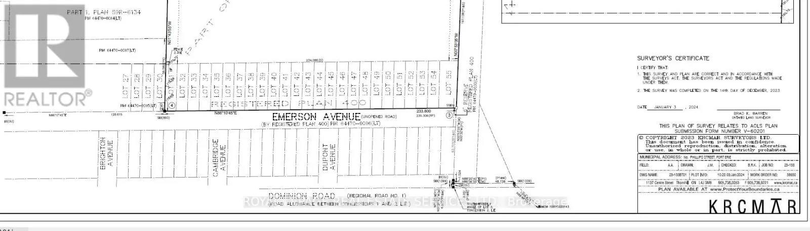
Cross Streets: Crescent & Dominion Road. ** Directions: Go South on Crescent Road, turn left on Emerson Ave. Two Parcel of Vacant Land, Walking Distance to the Crescent Beach, Conceptual plan showing 24 single lots(previously registred) on Emerson & Townhouses on the Dominion Road site, Buyer to do their own due diligence, the lots on Emerson are on the survey and legal description, the area is walking distance to the beach, services are available nearby to be extended to the property, Property is 6km from the Peace Bridge and entry into the United States,and only 4km from Queen Elizabeth Way. The surrounding community is primarily residential, with neighbourhoodbusinesses and some institutional uses (schools, sports centres). The site has high visibility from Dominion Road, waterfront areas. 5-minute drive from Walmart, Starbucks, Sobeys, LCBO. Fort Erie is projecting growth to 48,050 residents and 18,430 jobs by theyear 2051, needing to accommodate 15,230 new residents. (id:27476)

Property Highlights

MLS® Number
X12912650
Type
Vacant Land
Community Name
334 - Crescent Park
Land Size
3.3 ac

Building

Square Footage
3 ac
Fireplace Present
No
Basement Type
Basement Features
Building Heating Type
Heating Fuel
Building Cooling Type

Utilities

Water
Municipal water

Location

Learn more about this property
Listing provided by:
ROYAL LEPAGE REAL ESTATE SERVICES LTD.
MLS® number:
X12912650
Agent:
Arash Fatemi
*Indicates required field
Name is required
Email is required
Please enter a valid phone number (e.g., 416-111-1111).

Street Spotlight - For sale