N/a Woodbine Avenue, Georgina, Ontario L4P 3E9

Listed for:
$753,000
0 beds
0 baths
Listed 120 days ago
N/a Woodbine Avenue, Georgina, Ontario L4P 3E9

View all 0 photos

Learn more about this property
Listing provided by:
RE/MAX ACE REALTY INC.
MLS® number:
N12217027
Agent:
Usman Butt
*Indicates required field
Name is required
Email is required
Please enter a valid phone number (e.g., 416-111-1111).

About

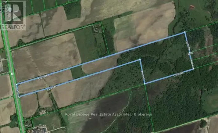
Woodbine Ave & Metro Rd N Just About 10 Acres Land Value. (id:27476)

Property Highlights

MLS® Number
N12217027
Type
Vacant Land
Community Name
Keswick North
Land Size
333 FT ; 10.02 Acres|10 - 24.99 acres

Building

Square Footage
0 - 699 sqft
Fireplace Present
No
Basement Type
Basement Features
Building Heating Type
Other
Heating Fuel
Building Cooling Type

Utilities

Water
Unknown

Location