376 Philip Place, Hamilton, Ontario L9G 3G8

Listed for:
$1,199,900
3 beds
1 baths
Listed 82 days ago
House for rent: 376 Philip Place, Hamilton, Ontario L9G 3G8

View all 14 photos

Learn more about this property
Listing provided by:
MLS® number:
X12370179
Agent:
Jake Nicolle
*Indicates required field
Name is required
Email is required
Please enter a valid phone number (e.g., 416-111-1111).

About

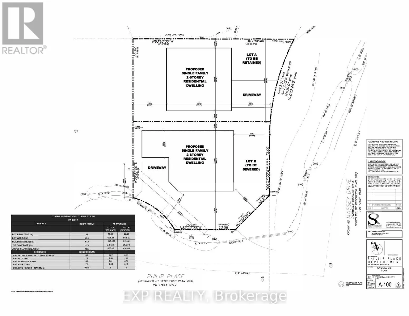
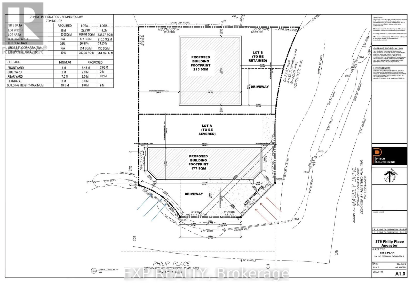
Montgomery/Massey/Philip Exceptional Infill & Development Opportunity in Ancaster Heights! Rare chance to secure a premium 120 x 117 ft. corner lot with conditional severance approval for two detached lots (approx. 55 x 110 ft. each) Located at 376 Philip Place, this tree-lined property offers frontage on both Philip Place and Massey Drive, providing outstanding design and layout flexibility. Fully serviced with water and sewer connections, the site is zoned and conditionally approved for two custom homes, making it an ideal opportunity for builders, developers, or investors. Nestled in one of Ancasters most desirable communities, the property is just minutes to Tiffany Falls, local parks, conservation trails, Highway 403, Downtown Ancaster, Dundas, and McMaster Hospital. This is a landmark opportunity to develop in one of the regions most sought-after enclaveswhether youre looking to build immediately or hold for future potential (id:27476)

Property Highlights

MLS® Number
X12370179
Type
Single Family
Community Name
Ancaster
Ownership Type
Freehold
Land Size
119.3 x 116.4 FT ; Irregular
Parking Space Total
8

Building

Building Type
House
Storeys
1.00
Square Footage
1100 - 1500 sqft
Bathrooms Total
1
Bedrooms Above Ground
3
Bedrooms Total
3
Amenities
Golf Nearby, Park, Public Transit, Schools
Exterior Finish
Brick, Stucco
Fireplace Present
No
Basement Type
Full (Unfinished)
Basement Features
Building Heating Type
Forced air
Heating Fuel
Natural gas
Building Cooling Type
Central air conditioning

Utilities

Water
Municipal water
Utility Sewer
Sanitary sewer

Room Layout

Living room
Main level
5.44 m x 4.17 m
Dining room
Main level
2.36 m x 2.36 m
Kitchen
Main level
5.3 m x 2.74 m
Primary Bedroom
Main level
3.35 m x 3.35 m
Bedroom 2
Main level
3.63 m x 2.77 m
Bedroom 3
Main level
3.05 m x 2.49 m

Location

Community Spotlight: Homes For sale in Your Neighborhood