451 Montreal Circle, Hamilton, Ontario L8E 0E2

Listed for:
$599,900
0 beds
0 baths
Listed 13 days ago
451 Montreal Circle, Hamilton, Ontario L8E 0E2

View all 30 photos

About

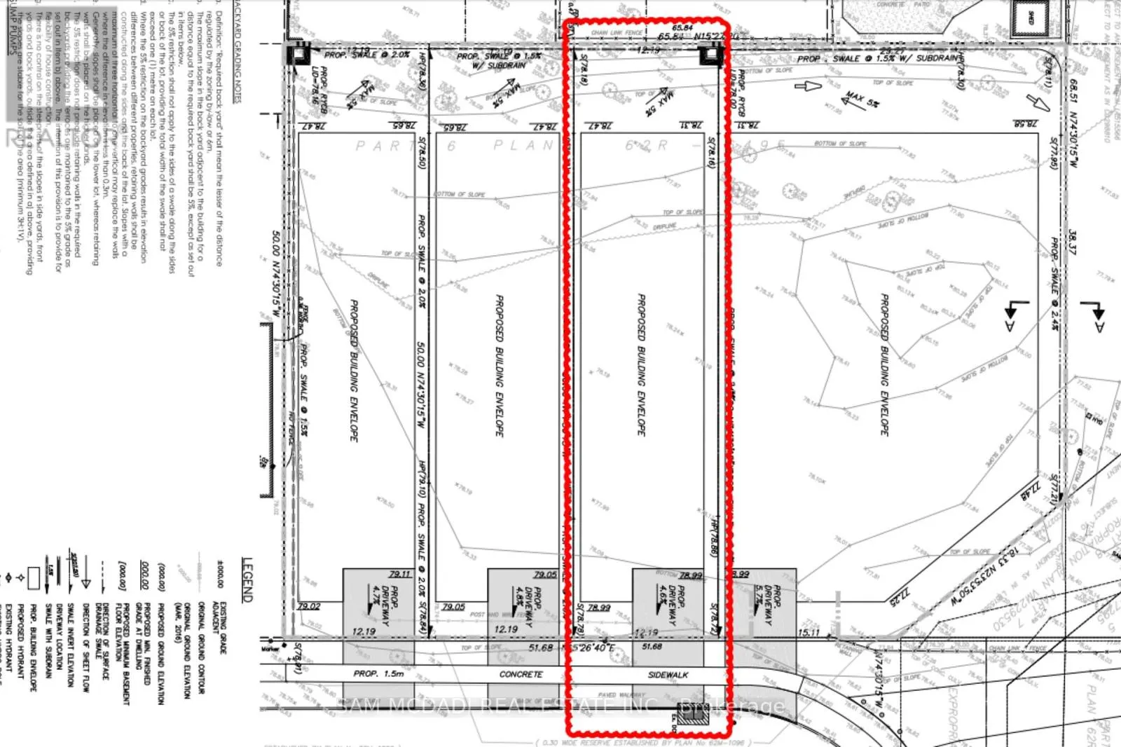
Cross Streets: FIFTY RD/KINGSTON RD. ** Directions: FIFTY RD/KINGSTON RD/MONTREAL CIR. Premium 40x165 ft Building Lot in Highly Desired Waterfront Winona Park Community in Lower Stoney Creek Ready for Your Design & Build!! Encircled by other Gorgeous Homes in the Neighbourhood & Other Custom-Built Properties this Lot Offers Endless Options from Bungalow/Bungalow Loft & 2 Storey Designs with ADU Options + The Great Depth Allows Opportunity to Create a Backyard Oasis with Pool Sized Lot, 3+ Car Garage Parking Design, Legal Basement Apartment/Multi Family Dwelling Option & More. Various Possibilities. All Municipal Services at Lot Line & Shovel Ready!! Great Investment for the Builder/Investor or for the End User Looking to build their dream home in a fantastic location. All In Prime Lake Side Community W/ Great Schools, Quick QEW & Major Highway Access, Large Shopping Centres, Local Shops, Marina's, Parks, Trails, Local Farms/Vineyards, New Confederation GO Station, 15 Mins to Downtown Burlington & Centrally Located Between Toronto & the Niagara Region. Great Opportunity + Potential Option for project management service available for your build if needed to make it a turnkey solution! (id:27476)

Property Highlights

MLS® Number
X12747980
Type
Vacant Land
Community Name
Winona Park
Land Size
40 x 164 FT|under 1/2 acre

Building

Amenities
Beach, Marina, Park, Schools
Fireplace Present
No
Basement Type
Basement Features
Building Heating Type
Heating Fuel
Building Cooling Type

Utilities

Water
Municipal water
Utility Sewer
Sanitary sewer

Location

Learn more about this property
Listing provided by:
SAM MCDADI REAL ESTATE INC.
MLS® number:
X12747980
Agent:
Sam Allan Mcdadi
*Indicates required field
Name is required
Email is required
Please enter a valid phone number (e.g., 416-111-1111).