17 Vernon Lane, Huntsville, Ontario P1H 2J2

Listed for:
$130,000
0 beds
0 baths
Listed 8 days ago
17 Vernon Lane, Huntsville, Ontario P1H 2J2

View all 21 photos

About

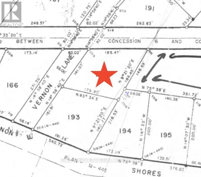
Cross Streets: Vernon Lane. ** Directions: North Drive- Vernon Shores Ave- Vernon Lane. Seize the opportunity to build your dream home at Vernon Shores! This charming community offers a mix of waterfront cottages and stunning new builds, just 20 minutes from Huntsville's conveniences. Situated on a municipally maintained road, this vacant lot is zoned WR1 and ready for your vision, with hydro at the lot line and newly installed Bell Fibre internet in the area perfect for year-round living. Enjoy easy access to Lake Vernon, just a short walk away. To inspire your plans, the seller has invested in thoughtful renderings of a custom-designed home, with an attached two-car garage, highlighting the parcels full potential. Don't miss out on this exceptional opportunity! (id:27476)

Property Highlights

MLS® Number
X12847644
Type
Vacant Land
Community Name
Stisted
Land Size
141.07 x 178.22 Acre|1/2 - 1.99 acres

Building

Fireplace Present
No
Basement Type
Basement Features
Building Heating Type
Heating Fuel
Building Cooling Type

Location

Learn more about this property
Listing provided by:
Chestnut Park Real Estate
MLS® number:
X12847644
Agent:
Jennah Mcintyre
*Indicates required field
Name is required
Email is required
Please enter a valid phone number (e.g., 416-111-1111).

Community Spotlight: Homes For sale in Your Neighborhood