776 Bryans Drive, Huron East, Ontario N0G 1H0

Listed for:
$179,900
0 beds
0 baths
Listed 332 days ago
776 Bryans Drive, Huron East, Ontario N0G 1H0

View all 2 photos

About

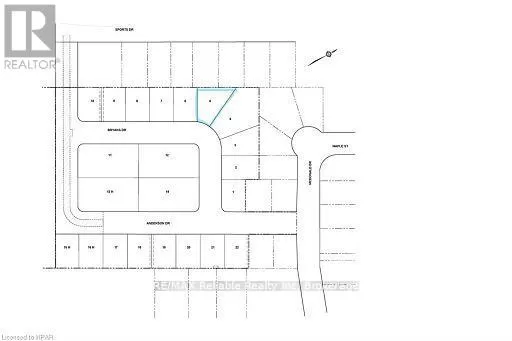
Cross Streets: Anderson Dr and Bryans Dr. ** Directions: Off Turnberry St. to Thomas St. turn right onto McDonald Dr. right onto Anderson Dr. then turn left onto Bryans Dr. Here's your opportunity to build in the quiet town of Brussels. Fully serviced lot located in a new development close to the arena and not far from public pool, ball diamond and the downtown area. Services available at the lot line Gas, Hydro, Fibre internet, Municipal water and sewers. (id:27476)

Property Highlights

MLS® Number
X12159351
Type
Vacant Land
Community Name
Brussels
Land Size
44.3 x 100 FT|under 1/2 acre

Building

Square Footage
0 - 699 sqft
Fireplace Present
No
Basement Type
Basement Features
Building Heating Type
Heating Fuel
Building Cooling Type

Utilities

Water
Municipal water
Utility Sewer
Sanitary sewer

Location

Learn more about this property
Listing provided by:
RE/MAX Reliable Realty Inc
MLS® number:
X12159351
Agent:
Maureen Wildfong
*Indicates required field
Name is required
Email is required
Please enter a valid phone number (e.g., 416-111-1111).