546299 Sideroad 4b, Kimberley, Ontario N0C 1G0

Listed for:
$1,599,000
4 beds
3 baths
Listed 47 days ago
House for rent: 546299 Sideroad 4b, Kimberley, Ontario N0C 1G0

View all 48 photos

About

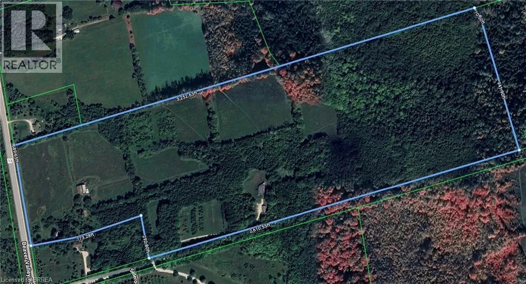
South from Kimberley, east on Sideroad 4B (where Grey Rd 30 goes west). Welcome home to breathtaking panoramic views across your own 71 acres overlooking the Beaver Valley. Perfectly suited for hobby farming and recreational use, this exceptional property offers established trails throughout the land, while the Bruce Trail runs along the property line—providing endless opportunities to hike, ski, or snowshoe. The custom-built home is filled with natural light, featuring expansive windows in every room that create a warm and welcoming atmosphere for family and friends. Offering 3,130 sq. ft. over two floors, the home includes 4 bedrooms, 3 bathrooms, two wood-burning fireplaces, a spacious kitchen, three decks, and a detached 3-car garage—designed for comfortable, easy living. The main floor boasts hardwood flooring, a 12’ vaulted ceiling in the living room, and unforgettable sunset views each evening. The land is a rare mix of five open fields, mixed bush, an orchard, a large creek winding through the ravine, and a smaller creek near the house. The current owner has produced maple syrup and heated the home with wood harvested from the property, with a propane furnace (2019) in place as a backup. Multiple outbuildings include an impressive 4,000+ sq. ft. barn, a drive shed, and a second garage. With a little vision and effort, these structures could easily support livestock and equipment for a true country lifestyle. Bring your walking shoes and explore everything this remarkable property has to offer—your next chapter starts here. (id:27476)

Property Highlights

MLS® Number
40794873
Type
Single Family
Ownership Type
Freehold
Land Size
71.291 ac|50 - 100 acres
Parking Space Total
11

Building

Building Type
House
Storeys
1.00
Square Footage
3130 sqft
Bathrooms Total
3
Bedrooms Above Ground
3
Bedrooms Total
4
Amenities
Ski area
Exterior Finish
Stone, Vinyl siding
Fireplace Present
Yes
Basement Type
Full (Finished)
Basement Features
Building Heating Type
Forced air
Heating Fuel
Propane
Building Cooling Type
None

Utilities

Water
Drilled Well
Utility Sewer
Septic System

Room Layout

3pc Bathroom
Lower level
12'8'' x 4'11''
3pc Bathroom
Lower level
8'4'' x 4'4''
Laundry room
Lower level
12'10'' x 8'11''
Bedroom
Lower level
21'3'' x 12'8''
Family room
Lower level
34'10'' x 15'2''
3pc Bathroom
Main level
12'3'' x 9'8''
Bedroom
Main level
9'10'' x 8'8''
Bedroom
Main level
11'6'' x 11'5''
Primary Bedroom
Main level
15'10'' x 14'2''
Dining room
Main level
15'5'' x 13'3''
Kitchen
Main level
15'3'' x 13'0''
Living room
Main level
28'0'' x 12'11''
Foyer
Main level
17'5'' x 6'8''

Location

Learn more about this property
Listing provided by:
Peak Realty Ltd.
MLS® number:
40794873
Agent:
Kim Etherington
*Indicates required field
Name is required
Email is required
Please enter a valid phone number (e.g., 416-111-1111).