671 Guelph Street, Kitchener, Ontario N2H 5Y5

Listed for:
$899,000
0 beds
0 baths
Listed 27 days ago
671 Guelph Street, Kitchener, Ontario N2H 5Y5

View all 1 photos

About

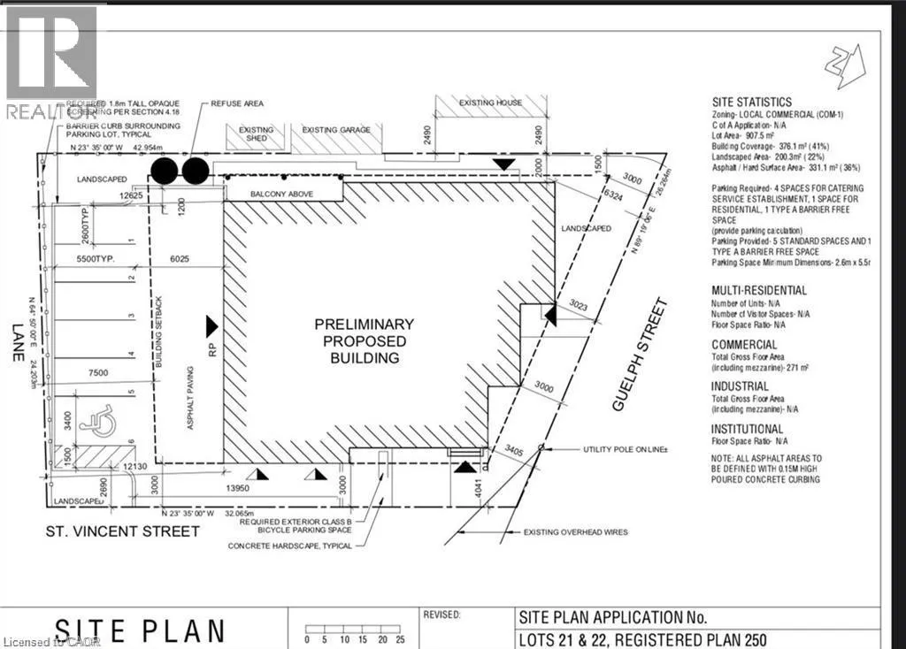
From Lancaster go west on Guelph Street Approved Mixed-Use Development Lot – 671 Guelph St, Kitchener Excellent opportunity for investors and developers to acquire a fully approved mixed-use development site in a growing Kitchener neighbourhood. Zoned C-1 (Commercial Residential), the property permits both residential and commercial uses. The lot measures 104.74 ft x 79.52 ft and comes with an approved site plan and a complete building permit package, allowing for immediate development. Professionally designed mixed-use plans are included. Situated on a corridor with steady exposure and convenient access, this location supports long-term investment value. The surrounding area is seeing continued residential and commercial growth. Highlights: Lot Size: 104.74 ft x 79.52 ft Zoning: C-1 Site Plan & Permit Package Included Mixed-Use Plans Provided Strong Growth Area Turnkey development site in a stable and expanding market. (id:27476)

Property Highlights

MLS® Number
40799489
Type
Vacant Land
Ownership Type
Freehold
Land Size
under 1/2 acre

Building

Amenities
Public Transit, Schools
Fireplace Present
No
Basement Type
None
Basement Features
Building Heating Type
Heating Fuel
Building Cooling Type

Utilities

Water
Municipal water
Utility Sewer
Municipal sewage system

Location

Learn more about this property
Listing provided by:
KELLER WILLIAMS INNOVATION REALTY
MLS® number:
40799489
Agent:
Adam Bendig
*Indicates required field
Name is required
Email is required
Please enter a valid phone number (e.g., 416-111-1111).