0 Westview Crescent, Lively, Ontario P3Y 1B7

Listed for:
$500,000
0 beds
0 baths
Listed 66 days ago
0 Westview Crescent, Lively, Ontario P3Y 1B7

View all 3 photos

About

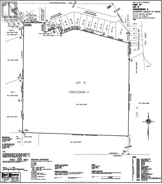
Large development property of approximately 38 acres in a preferred Waldon location off Westview west and south of the Mikkola subdivision. Zoned Future Development, this is an excellent location to plan your long-term residential development. Contact listing Broker for access to some documents related to this development. This property sale will be subject to HST. (id:27476)

Property Highlights

MLS® Number
2126096
Type
Vacant Land
Ownership Type
Freehold
Land Size
242 X Irregular|10 - 50 acres

Building

Fireplace Present
No
Basement Type
Basement Features
Building Heating Type
Heating Fuel
Building Cooling Type

Utilities

Water
None

Location

Learn more about this property
Listing provided by:
ROYAL LEPAGE NORTH HERITAGE REALTY, BROKERAGE
MLS® number:
2126096
Agent:
Paul Kusnierczyk
*Indicates required field
Name is required
Email is required
Please enter a valid phone number (e.g., 416-111-1111).