00 Hwy 62 N, Madoc, Ontario K0K 2K0

Listed for:
$109,900
0 beds
0 baths
Listed 42 days ago
00 Hwy 62 N, Madoc, Ontario K0K 2K0

View all 12 photos

Learn more about this property
Listing provided by:
CENTURY 21 LANTHORN REAL ESTATE LTD.
MLS® number:
X12329758
Agent:
Steve Bancroft
*Indicates required field
Name is required
Email is required
Please enter a valid phone number (e.g., 416-111-1111).

About

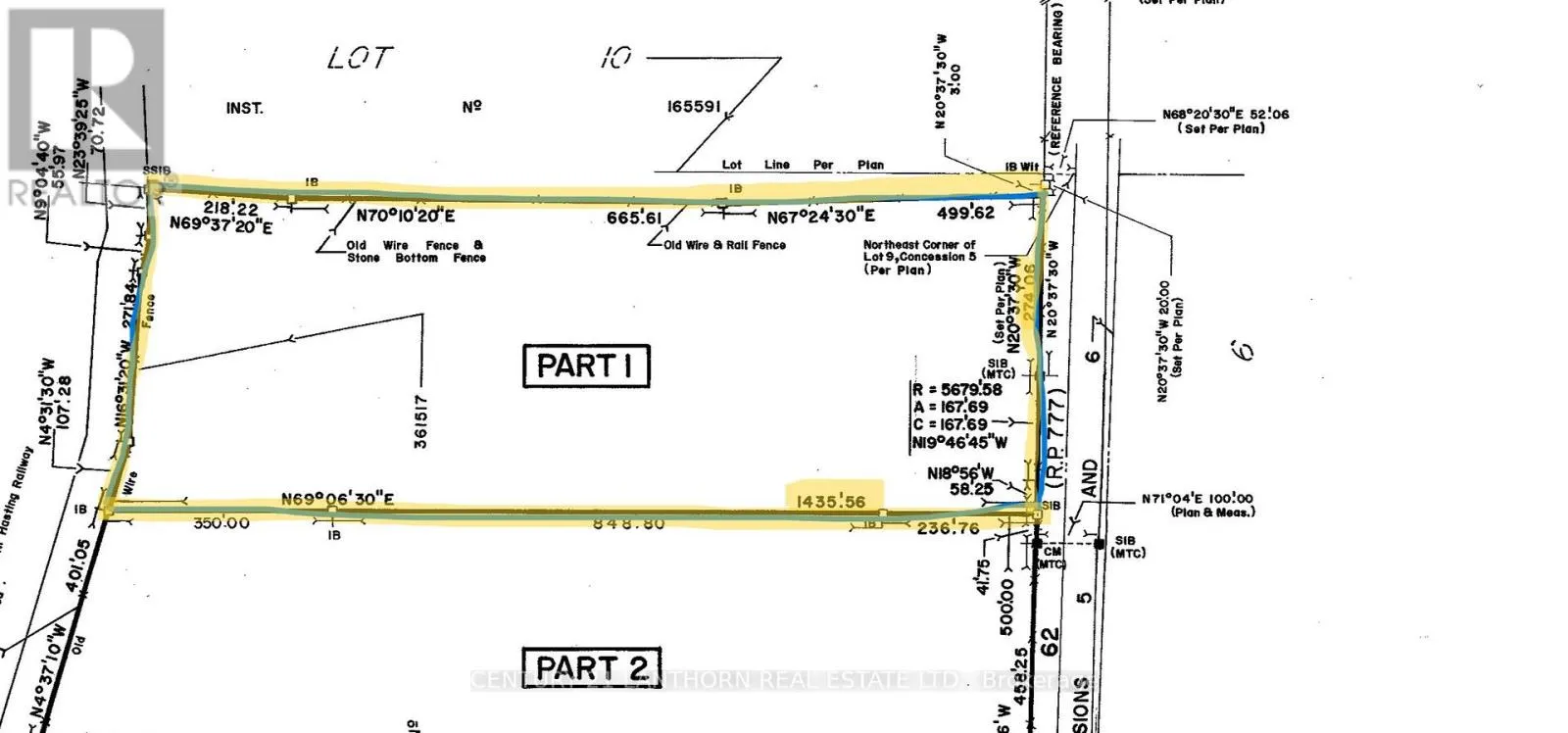
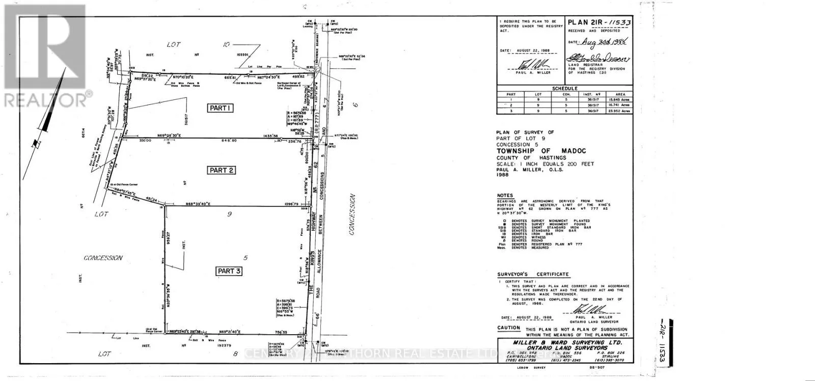
Cross Streets: HWY 62/Hazzards Road. ** Directions: HWY 62 North. Anybody looking for acreage? 15.84 acres along Hwy 62, just north of Madoc can be yours. 274 ft of frontage and has Rural and EP zoning. Most of land is treed and has a creek running through property. Hydro available at the road and will need an approved entrance. Building site to be approved by Quinte Conservation, or use for recreational purposes. Close to the Heritage trail and numerous lakes in the area. HST is in addition to purchase price. Price to sell so dont wait. (id:27476)

Property Highlights

MLS® Number
X12329758
Type
Vacant Land
Community Name
Madoc
Land Size
274.06 x 1435 FT|10 - 24.99 acres

Building

Fireplace Present
No
Basement Type
Basement Features
Building Heating Type
Heating Fuel
Building Cooling Type

Location