7281a Highway 124, Magnetawan, Ontario P0G 1G0

Listed for:
$99,000
0 beds
0 baths
Listed 68 days ago
7281a Highway 124, Magnetawan, Ontario P0G 1G0

View all 20 photos

About

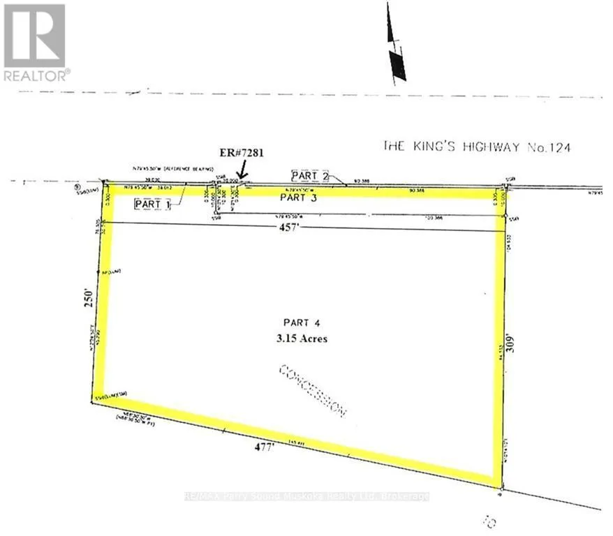
Highway 124, slight bend to SOP A beautiful, 3.15 acres of privacy in Whitestone/ Dunchurch, located off a year-round municipal road/Highway 124. With quick access to hop on the road to work, schools, shopping, community centre, nursing station, beach, boat, launch, and multiple lakes in the area. Over 450 feet of road frontage. Entrance in, well treed and perched on a Hill to give a fabulous view. Just a short drive or a walk to the town of Dunchurch to go for a swim or keep your boat at the marina and save on waterfront property taxes. This is a great opportunity for you and your family to live, work and play in the cottage country dream and build it the way you dream it! Click on the media arrow for the video. (id:27476)

Property Highlights

MLS® Number
X12873646
Type
Vacant Land
Community Name
Magnetawan
Land Size
456.7 x 104.2 FT|2 - 4.99 acres

Building

Square Footage
0 - 699 sqft
Fireplace Present
No
Basement Type
Basement Features
Building Heating Type
Heating Fuel
Building Cooling Type

Location

Learn more about this property
Listing provided by:
RE/MAX Parry Sound Muskoka Realty Ltd
MLS® number:
X12873646
Agent:
Danielle Beitz
*Indicates required field
Name is required
Email is required
Please enter a valid phone number (e.g., 416-111-1111).