49 Main St. South, Markham, Ontario L3P 1L2

Listed for:
$499,000
0 beds
0 baths
Listed 44 days ago
49 Main St. South, Markham, Ontario L3P 1L2

View all 9 photos

Learn more about this property
Listing provided by:
CENTURY 21 LEADING EDGE REALTY INC.
MLS® number:
N12441380
Agent:
Sylvia Morris
*Indicates required field
Name is required
Email is required
Please enter a valid phone number (e.g., 416-111-1111).

About

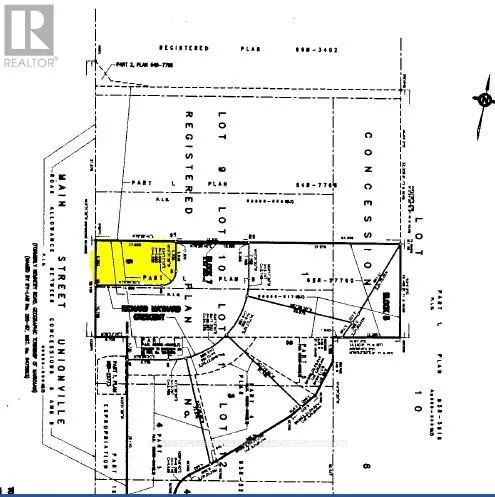
Cross Streets: MAIN ST. S & HWY 7, UNIONVILLE. ** Directions: Main St. Unionville/Hwy. 7. Calling all builders and investors! Don't miss this exceptional opportunity to acquire a prime lot in a highly sought-after neighbourhood. This fully serviced lot offers the potential for a future detached 2-storey/3-storey home/tiny home and is conveniently located just steps away from the charm of Historic Main Street, where you can enjoy shops, galleries, and dining options. Stroll to the scenic Toogood Pond, and easily access the GO Train, York University, and Downtown Markham.The lot comes with site plan approval for building a detached home, subject to the extension of Richard Maynard Cres. Once the extension is approved and connected to the north end of the existing street, the easement will be removed. It's essential that buyers conduct their own due diligence. Secure your investment in this thriving area today! Land Info Package Available Under Attachments. **Please note that the planning department stated that the land adjacent to 49 Main Street needs to be developed before the road can be built. It is up to the owner of the land to build this road. There is an extra cost of approx. $300k on top** (id:27476)

Property Highlights

MLS® Number
N12441380
Type
Vacant Land
Community Name
Unionville
Land Size
30.7 x 55.87 FT ; SEE EXTRAS|under 1/2 acre

Building

Fireplace Present
No
Basement Type
Basement Features
Building Heating Type
Heating Fuel
Building Cooling Type

Utilities

Water
Municipal water
Utility Sewer
Sanitary sewer

Location