Unit 2 - 195 Cachet Woods Court, Markham, Ontario L6C 0Z8

Listed for:
$20
0 beds
0 baths
Listed 95 days ago
Unit 2 - 195 Cachet Woods Court, Markham, Ontario L6C 0Z8

View all 12 photos

About

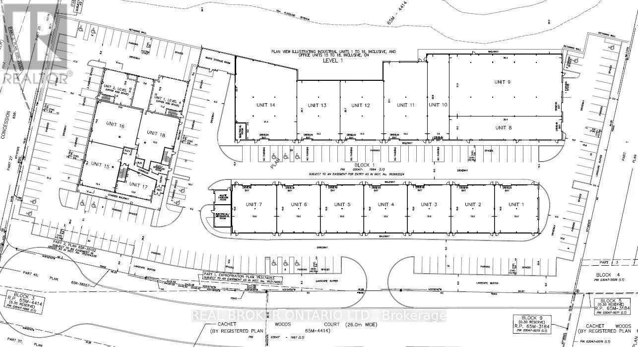
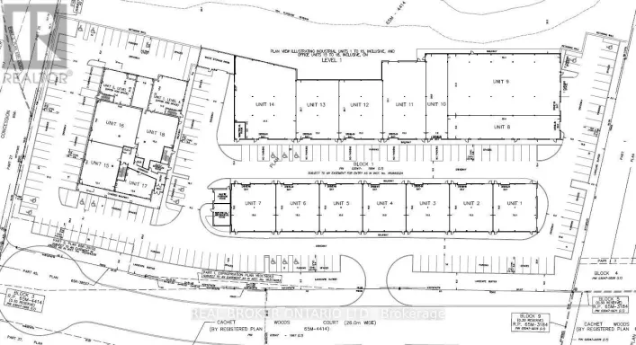
Cross Streets: 16th Ave, East of Hwy 404 and. ** Directions: 16th Avenue, East of Hwy 404. New Prestigious Industrial / Office / Limited Retail complex. Street facing units, ideally located off Highway 404 at 16th Ave in Buttonville, Markham. Only minutes from Hwy 407, Hwy 7 & great restaurants and amenities. New Hwy 404 overpass will further enhance accessibility. High end construction by Salford Developments including glazing, Insulated precast concrete, Insulated roof and high end facia. Zoning allows select Industrial / Office and Limited Commercial. (id:27476)

Property Highlights

MLS® Number
N12507598
Type
Industrial
Community Name
Cachet
Land Size
Unit=153.8 x 107.64 M ; Irregular

Building

Square Footage
2800 sqft
Amenities
Highway
Fireplace Present
No
Basement Type
Basement Features
Building Heating Type
Radiant heat
Heating Fuel
Building Cooling Type
None

Utilities

Water
Municipal water

Location

Learn more about this property
Listing provided by:
REAL BROKER ONTARIO LTD.
MLS® number:
N12507598
Agent:
Danny Balkos
*Indicates required field
Name is required
Email is required
Please enter a valid phone number (e.g., 416-111-1111).