30 Lake Vision Road, McMurrich/Monteith, Ontario P0A 1Y0

Listed for:
$375,000
0 beds
0 baths
Listed 108 days ago
30 Lake Vision Road, McMurrich/Monteith, Ontario P0A 1Y0

View all 2 photos

Learn more about this property
Listing provided by:
RE/MAX METROPOLIS REALTY
MLS® number:
X12316274
Agent:
Eric Lam
*Indicates required field
Name is required
Email is required
Please enter a valid phone number (e.g., 416-111-1111).

About

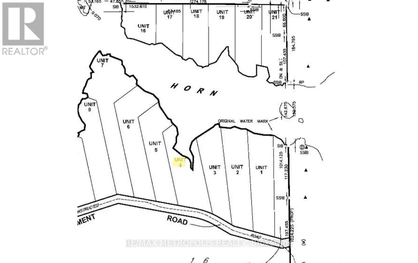
Cross Streets: Axe Lake Rd / W Bear Lake Rd. ** Directions: West of Bear Lake Rd W, Turn right on Lake Vision Ave Off of Axe Lake Rd, See signs to gate. Exclusive Waterfront Community Horn Lake Estates - Premium 2.69 Acre Lot to Build your Dream Cottage backing onto 200' of Waterfront on Horn Lake. This Lot is Accessible by Year-Round Municipal Road to a Gated Common Element Road. Hydro and Telephone Service are Available to Lot Line. Great for Fishing, Swimming, Kayaking, and Boating, Perfect Year-Round Getaway. This Lot has Easy Access - Conveniently Situated near the Municipal Road and Close to the Boat Launch. (id:27476)

Property Highlights

MLS® Number
X12316274
Type
Vacant Land
Community Name
Monteith
Maintenance Fee
149.22
Land Size
200 x 586 FT|2 - 4.99 acres

Building

Fireplace Present
No
Basement Type
Basement Features
Building Heating Type
Heating Fuel
Building Cooling Type

Location