Lt 2 Read Street E, Merrickville-Wolford, Ontario K0G 1N0

Listed for:
$1,350,000
0 beds
0 baths
Listed 151 days ago
Lt 2 Read Street E, Merrickville-Wolford, Ontario K0G 1N0

View all 8 photos

Learn more about this property
Listing provided by:
ROYAL LEPAGE TEAM REALTY
MLS® number:
X12316001
Agent:
Stephanie Beauregard
*Indicates required field
Name is required
Email is required
Please enter a valid phone number (e.g., 416-111-1111).

About

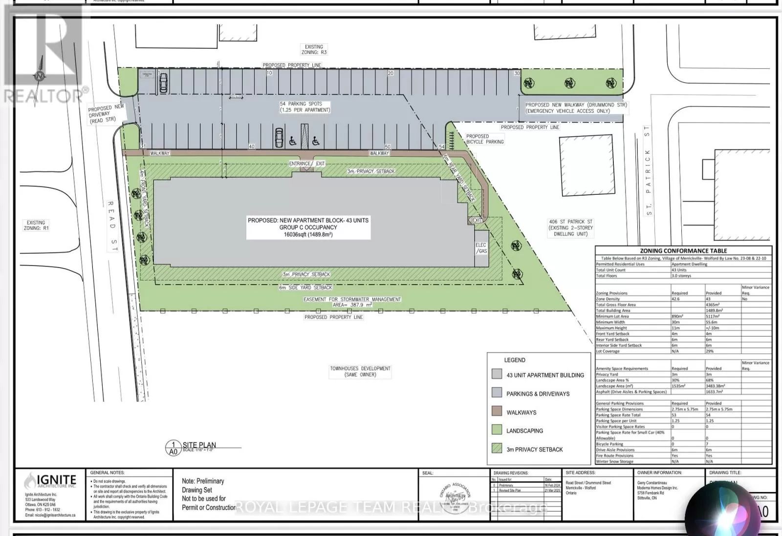
Cross Streets: Between Read and St.Patrick. South of Drummond. ** Directions: Main Street to Read Street, Lot Between Read and St.Patrick. South of Drummond. This amazing 1.264-acre commercial lot presents a rare and highly desirable opportunity for developers and investors. Fully zoned and site plan approved for a 43-unit rental apartment building, significantly reducing timelines and offering significant income potential All major utilities are available at the street, further simplifying development. The location is exceptionally desirable, just walking distance from the community centre, library, historic locks, shops, restaurants, and patios. This will make renting units easy, as that is what everyone is looking for in a rental. This building is well thought out in its design, and features one and two bedrooms, with an elevator, for anyone who cannot take the stairs. All plans and reports are provided to get you started with your project, with 90% site plan approved this gives you a speedy and efficient start. With the potential for CMHC financing approval, this is a standout investment in one of the region's most charming and in-demand areas. Don't miss this turnkey development site in the heart of Merrickville. (id:27476)

Property Highlights

MLS® Number
X12316001
Type
Vacant Land
Community Name
804 - Merrickville
Land Size
1.26 ac

Building

Square Footage
1 ac
Fireplace Present
No
Basement Type
Basement Features
Building Heating Type
Heating Fuel
Building Cooling Type

Location