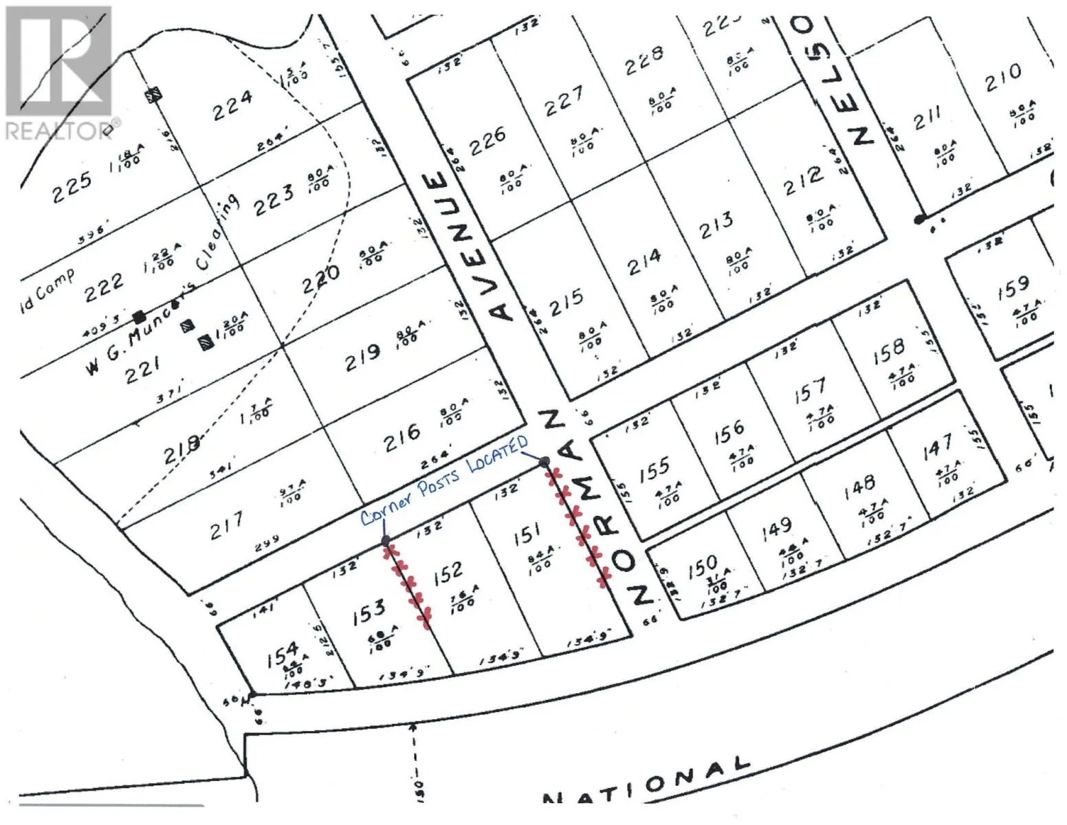
Lot 152 Plan M222, Minaki, Ontario P0X 1J0

Listed for:
$20,000
0 beds
0 baths
Listed 214 days ago
Lot 152 Plan M222, Minaki, Ontario P0X 1J0

View all 36 photos

About

From the Kenora by-pass, travel Hwy 596 north approx. 45-kms to Minaki. Continue driving until you see the CNR station on your left. Cross the tracks and turn left onto Front Street. Follow to Nelson Avenue and turn left onto RD 14. The road is not currently developed right to this property. Vacant treed lot on titled land located in the Minaki townsite. Suitable for a camper or RV. .76 of an acre with 134' south facing frontage. There are marinas for boat docking, a convenience store, Community Centre and a seasonal restaurant. The road is not currently developed right to this site and therefore further development will be required for access. Hydro is available nearby. There is no time line for development. This area is unorganized and taxes are currently $116.00 annually. 13% HST and Ontario Land Transfer tax ($100.00 based on $20k)) applies to the purchase price. (id:27476)

Property Highlights

MLS® Number
TB250065
Type
Vacant Land
Community Name
Minaki
Land Size
1/2 - 1 acre

Building

Fireplace Present
No
Basement Type
Basement Features
Building Heating Type
Heating Fuel
Building Cooling Type

Location

Learn more about this property
Listing provided by:
RE/MAX FIRST CHOICE REALTY LTD.
MLS® number:
TB250065
Agent:
Greg Kirby
*Indicates required field
Name is required
Email is required
Please enter a valid phone number (e.g., 416-111-1111).