B - 8455 Stanley Avenue, Niagara Falls, Ontario L2G 0C9

Listed for:
$15
0 beds
0 baths
Listed 56 days ago
B - 8455 Stanley Avenue, Niagara Falls, Ontario L2G 0C9

View all 5 photos

Learn more about this property
Listing provided by:
REVEL Realty Inc., Brokerage
MLS® number:
X12422263
Agent:
Corrie Veenstra
*Indicates required field
Name is required
Email is required
Please enter a valid phone number (e.g., 416-111-1111).

About

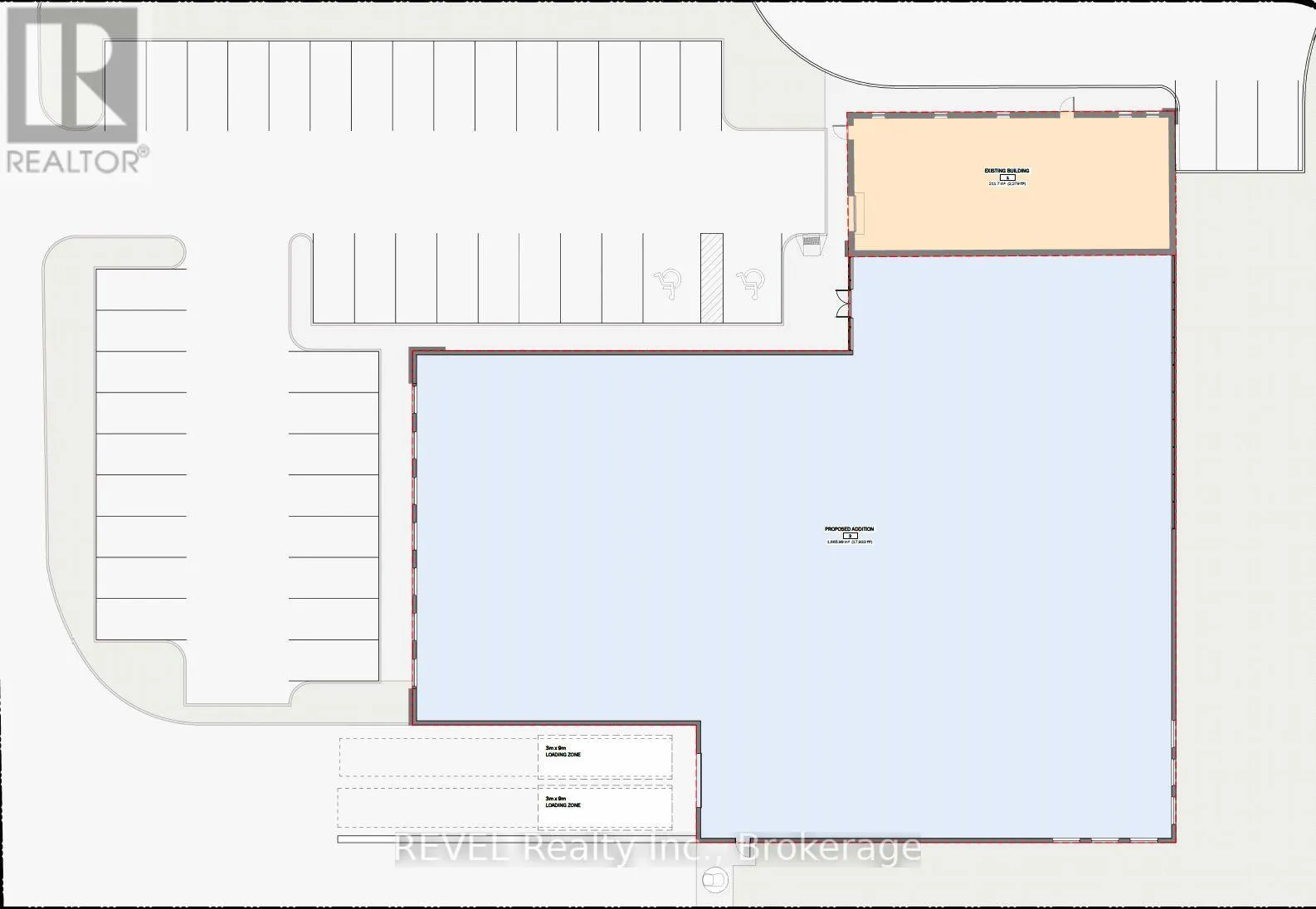
Cross Streets: Progress Street. ** Directions: From QEW, head East on McLeod Road or Lyon's Creek exit, take Stanley Avenue off McLeod or Lyon's Creek, property is at the very corner of Stanley Avenue and Progress Street. SITE PLAN APPROVED. Up to 20,000 sq. ft. +/- build-to-suit opportunity available in Stanley Avenue Business Park, located at the corner of Stanley Avenue and Progress Street. NEW Build Prestige Industrial, with two accesses into the property off of Progress Street, 20 ft. clear height and grade level loading doors. Tons of exposure for your business with lots of traffic on Stanley Avenue. Within minutes of U.S.A. border crossings. Nearby all commercial amenities. Property is approx. 1.4 acres and is already improved with a 2,250 sq. ft. free-standing light industrial building which has recently been extensively renovated. Property is also for sale. (id:27476)

Property Highlights

MLS® Number
X12422263
Type
Industrial
Community Name
221 - Marineland
Land Size
185 x 300 FT

Building

Square Footage
20112 sqft
Fireplace Present
No
Basement Type
Basement Features
Building Heating Type
Other
Heating Fuel
Building Cooling Type
Partially air conditioned

Utilities

Water
Municipal water

Location