Pt Lts 11 & 12 As Part 2 Road, North Kawartha, Ontario K0L 1A0

Listed for:
$219,900
0 beds
0 baths
Listed 132 days ago
Pt Lts 11 & 12 As Part 2 Road, North Kawartha, Ontario K0L 1A0

View all 8 photos

About

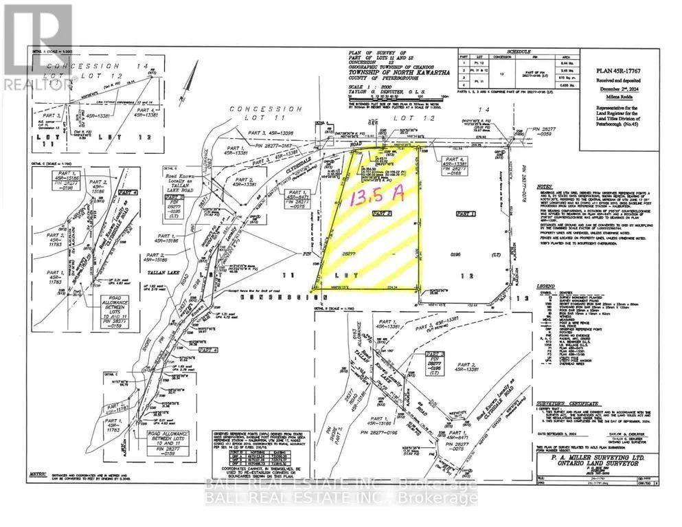
Cross Streets: CLYDESDALE. ** Directions: HIGHWAY 620 AND CLYDESDALE. Discover a beautiful 13.5 acre country building lot near Chandos Lake and across the road from Talon Lake . This property offers hydro at the road and a driveway already in place. With several quality build sites to choose from, you can select the perfect spot on this lot, which features a mix of open meadows and mature trees. Great walk out basement potential. Enjoy the flexibility of building close to the road or nestled further back for added privacy. Located just minutes from the beach and the charming village of Aspley, this property is a must-see. A survey is also on file for your convenience. (id:27476)

Property Highlights

MLS® Number
X12668122
Type
Vacant Land
Community Name
North Kawartha
Land Size
426 x 951 FT|10 - 24.99 acres
Parking Space Total
20

Building

Amenities
Place of Worship
Fireplace Present
No
Basement Type
Basement Features
Building Heating Type
Heating Fuel
Building Cooling Type

Location

Learn more about this property
Listing provided by:
BALL REAL ESTATE INC.
MLS® number:
X12668122
Agent:
Jim Alexander
*Indicates required field
Name is required
Email is required
Please enter a valid phone number (e.g., 416-111-1111).

Community Spotlight: Homes For sale in Your Neighborhood