1511 Tay Point Road, Penetanguishene, Ontario L9M 2C8

Listed for:
$325,000
0 beds
0 baths
Listed 72 days ago
1511 Tay Point Road, Penetanguishene, Ontario L9M 2C8

View all 15 photos

Learn more about this property
Listing provided by:
CENTURY 21 B.J. ROTH REALTY LTD.
MLS® number:
S12387525
Agent:
Trisha Bowman
*Indicates required field
Name is required
Email is required
Please enter a valid phone number (e.g., 416-111-1111).

About

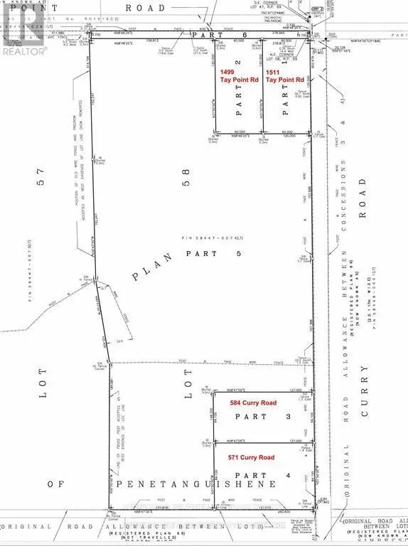
Cross Streets: Tay Point and Curry Road. ** Directions: Fuller ave, Midland Point to Curry to Tay. Welcome to one of four newly severed, fully cleared, and ready-to-build estate lots, offering 1.78 acres of prime land at the corner of Curry and Tay Point Road. This level property boasts expansive views of rolling farmland, county forest, and spectacular sunsets all within a peaceful natural setting. Nestled in the highly desirable Midland Point area, the lot offers direct access to nearby walking and biking trails that lead to Tom McCullough Waterfront Park and Portage Park. Just a short five-minute drive brings you to the waterfront communities of Midland and Penetanguishene, where you'll discover vibrant downtowns, local marinas, charming shops, and a variety of restaurants. Known for their rich history, scenic Georgian Bay shoreline, and welcoming small-town atmosphere, Penetanguishene and Midland also offer access to recreational trails, a thriving arts and culture scene, and the breathtaking 30,000 Islands. Here, you'll have the perfect opportunity to build your dream home and embrace the serenity of country living! (id:27476)

Property Highlights

MLS® Number
S12387525
Type
Vacant Land
Community Name
Penetanguishene
Land Size
197 x 394 FT|1/2 - 1.99 acres

Building

Fireplace Present
No
Basement Type
Basement Features
Building Heating Type
Heating Fuel
Building Cooling Type

Location