2052 County Rd 18 Road, Prince Edward County, Ontario K0K 2T0

Listed for:
$999,900
0 beds
0 baths
Listed 4 days ago
2052 County Rd 18 Road, Prince Edward County, Ontario K0K 2T0

View all 18 photos

About

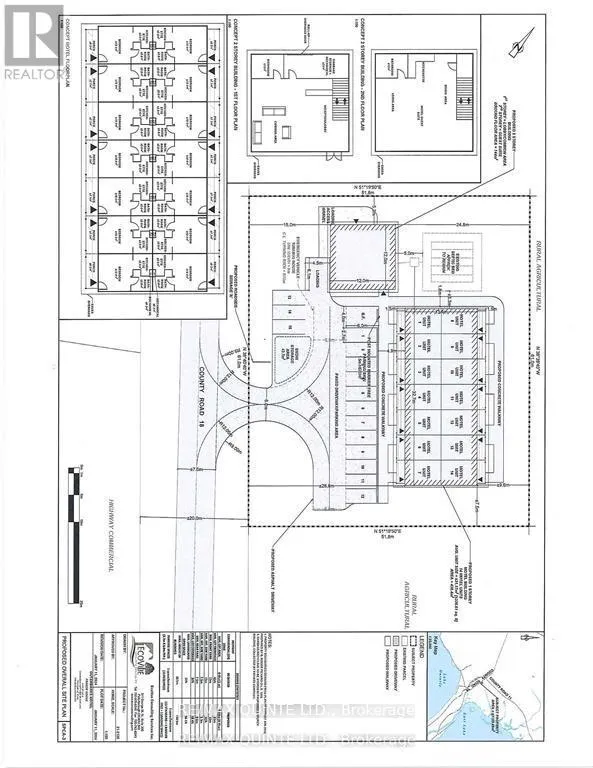
Cross Streets: East Lake Road to County Rd.18. East to property l. ** Directions: East Lake Road to County Rd.18. UNMATCHED SITE PLAN APPROVED HOTEL DEVELOPMENT OPPORTUNITY IN PRINCE EDWARD COUNTY !!!- THE CLOSEST PERMITTED HOTEL SITE TO SANDBANKS PROVINCIAL PARK!!!!. This exceptional property offers what no other hotel project ever will: legal proximity to Sandbanks Provincial Park. Due to municipal restrictions, no future hotel will be approved closer than this site-situated approximately 200 meters from the park's main entrance. The location provides an unmatched advantage for guests seeking walkable access to one of Ontario's most popular tourist destinations, while remaining only minutes from the wineries, breweries, and dining options that define Prince Edward County. An approved Site Plan Agreement has been fully completed and is ready for execution. All required municipal reports and technical studies have already been conducted and submitted, creating a genuine shovel-ready development opportunity. The site plan calls for a one story building that contains 14 hotel rooms, each with their own outdoor patio, as well a 1500 sq ft, two story building that has a lobby/common area on the first floor and a large VIP suite on the second floor. There is a two bed, two bath house currently on the site that is used as an STA as well as a one story commercial building. The house generates 40k-50k in annual income. Current development plans call for the demolition of the commercial building and the house being moved to another location. A long list of studies and reports have been conducted during the approval period and can be made available upon request. They include but are not limited to; light study, traffic study, environmental reports, hydrogeological, as built appraisal, site plan agreement and storm water management. An excellent sales package is attached to this listing that includes conservative revenue projections.****THE CURRENT LIST PRICE IS LOWER THAN THE APPRAISED VALUE*** (id:27476)

Property Highlights

MLS® Number
X12952508
Type
Retail
Community Name
Athol Ward
Land Size
200 x 174 FT

Building

Square Footage
2552 sqft
Fireplace Present
No
Basement Type
Basement Features
Building Heating Type
Baseboard heaters
Heating Fuel
Building Cooling Type
Fully air conditioned

Utilities

Water
Drilled Well
Utility Sewer
Septic System

Location

Learn more about this property
Listing provided by:
RE/MAX QUINTE LTD.
MLS® number:
X12952508
Agent:
Andrew Walmsley
*Indicates required field
Name is required
Email is required
Please enter a valid phone number (e.g., 416-111-1111).