A - 0 Patrick Drive, Quinte West, Ontario K0K 2C0

Listed for:
$600,000
0 beds
0 baths
Listed 135 days ago
A - 0 Patrick Drive, Quinte West, Ontario K0K 2C0

View all 3 photos

About

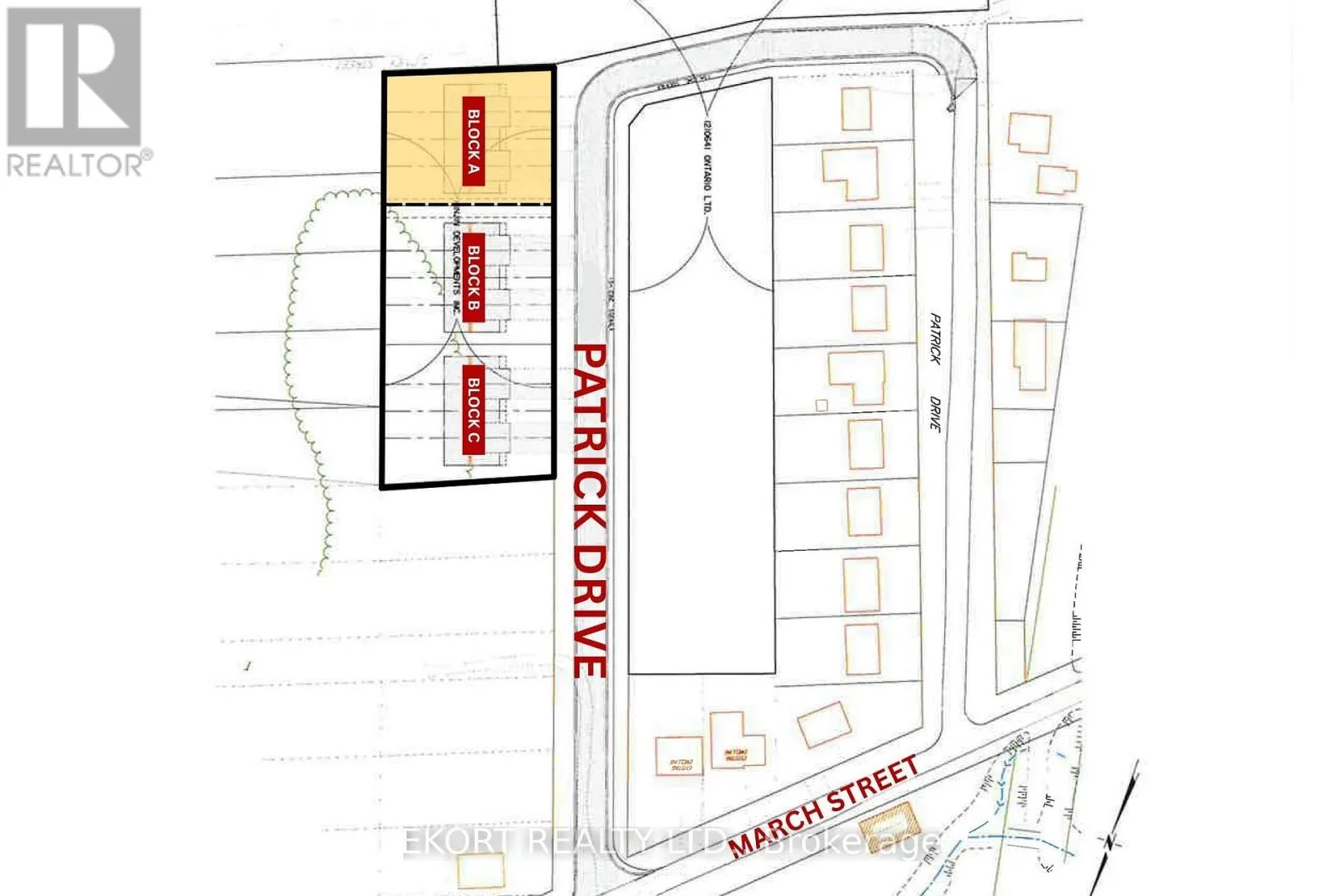
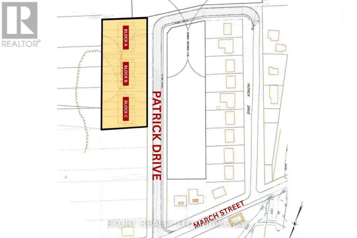
March Street and Windover Street An exceptional development opportunity in a growing community! This 0.42-acre townhouse development block offers a proposed plan for a 4-plex townhouse, making it an ideal investment for builders or developers. Known as Block A, the site features 119 feet of frontage and 153 feet of depth, providing ample space for an efficient layout. The property has been recently rezoned to R3-23, allowing for townhouse development and expanding the range of permitted uses. In addition to Block A, there are two other available blocks, bringing the total potential acreage to 1.3 acres across all three parcels. With zoning approvals already in place, this property is ready for the next stage of planning and design. (id:27476)

Property Highlights

MLS® Number
X12443634
Type
Vacant Land
Community Name
Frankford Ward
Land Size
119 x 152 FT|under 1/2 acre

Building

Fireplace Present
No
Basement Type
Basement Features
Building Heating Type
Heating Fuel
Building Cooling Type

Location

Learn more about this property
Listing provided by:
EKORT REALTY LTD.
MLS® number:
X12443634
Agent:
Don Mccoll
*Indicates required field
Name is required
Email is required
Please enter a valid phone number (e.g., 416-111-1111).