217 Bryant Street, South Bruce Peninsula, Ontario N0H 2T0

Listed for:
$649,900
0 beds
0 baths
Listed 210 days ago
217 Bryant Street, South Bruce Peninsula, Ontario N0H 2T0

View all 28 photos

Learn more about this property
Listing provided by:
RE/MAX Grey Bruce Realty Inc.
MLS® number:
X12183660
Agent:
Dawn Lee Mckenzie
*Indicates required field
Name is required
Email is required
Please enter a valid phone number (e.g., 416-111-1111).

About

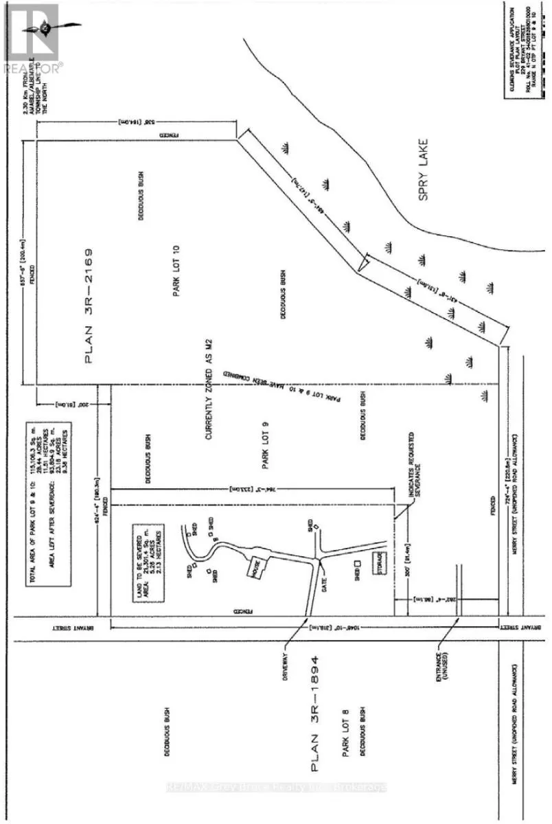
Cross Streets: Bryant St & Spry Lake Rd. ** Directions: Bruce Rd 13 to Oliphant, north on Bryant St. 25 Acres of Natural Beauty with Lake Views in Oliphant. Looking for a peaceful escape or a future retreat? This rare 25-acre parcel in Oliphant offers a blend of privacy, nature, and potential. With gently rolling sandy hills, mature trees, and established trails winding through the landscape, its a haven for outdoor lovers, dreamers, and anyone craving space to breathe.At the rear of the property, you'll find tranquil views over Spry Lake--a quiet shoreline that adds scenic charm and attracts local wildlife. You're just minutes from the Lake Huron shoreline and the quaint lakeside vibe of Oliphant, and only a 10-minute drive to the sandy beaches, shops, and amenities of Sauble Beach.Whether you're envisioning a private getaway, a recreational basecamp, or a long-term investment in the Bruce Peninsula, this property offers the kind of space and setting thats getting harder to find. (id:27476)

Property Highlights

MLS® Number
X12183660
Type
Vacant Land
Community Name
South Bruce Peninsula
Land Size
282.4 x 725 FT|25 - 50 acres

Building

Fireplace Present
No
Basement Type
Basement Features
Building Heating Type
Heating Fuel
Building Cooling Type

Location

Community Spotlight: Homes For sale in Your Neighborhood