121 Feairs Drive, Southgate, Ontario N0G 1N0

Listed for:
$265,000
0 beds
0 baths
Listed 55 days ago
121 Feairs Drive, Southgate, Ontario N0G 1N0

View all 3 photos

Learn more about this property
Listing provided by:
Royal LePage RCR Realty
MLS® number:
X12423319
Agent:
Kyle Dallaire
*Indicates required field
Name is required
Email is required
Please enter a valid phone number (e.g., 416-111-1111).

About

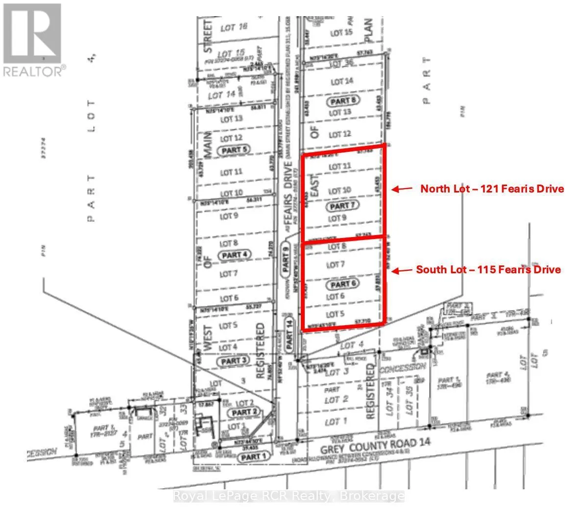
Cross Streets: Grey Rd 14 & Feairs Drive. ** Directions: From Highway 89, Head North on Grey Rd 14. Turn Left on Feairs Drive in Cedarville, Property on will be on the Right hand side. Build your dream home on this nearly 1-acre, build-ready country lot, located on a quiet cul-de-sac just 100 metres off Grey Road 14, a well-maintained County road with excellent year-round accessibility. This property offers the perfect balance of rural privacy and modern convenience, with less than five minutes to Highway 89, ten minutes to Mount Forest, and twenty minutes to Shelburne. Building and septic permits have already been approved for a pre-approved spec build (development fees not paid) or building permits can be obtained allowing you to move forward immediately with a custom home. The lot features natural elevation for ideal drainage, ample topsoil, and excellent potential for groundwater access, with an estimated well depth of only 100 feet. Soil sampling has been complete and a road entrance has already been installed. The parcel backs onto open agricultural land, ensuring permanent privacy with no rear neighbours. Zoned to allow a primary dwelling plus accessory buildings such as a garage, workshop, or shed, this lot offers space and flexibility to create the rural lifestyle you've been dreaming of. A reputable local builder is available to assist with permits and construction, making your building process that much easier. Don't miss this rare opportunity to own a prime piece of country land that's ready to go. (id:27476)

Property Highlights

MLS® Number
X12423319
Type
Vacant Land
Community Name
Southgate
Land Size
63.453 x 75.763 M|1/2 - 1.99 acres

Building

Fireplace Present
No
Basement Type
Basement Features
Building Heating Type
Heating Fuel
Building Cooling Type

Location

Community Spotlight: Homes For sale in Your Neighborhood