182 Rykert Street, St. Catharines, Ontario L2S 2B7

Listed for:
$1,350,000
4 beds
2 baths
Listed 30 days ago
House for rent: 182 Rykert Street, St. Catharines, Ontario L2S 2B7

View all 15 photos

Learn more about this property
Listing provided by:
Realty Network
MLS® number:
40770335
Agent:
Daniel Doyle
*Indicates required field
Name is required
Email is required
Please enter a valid phone number (e.g., 416-111-1111).

About

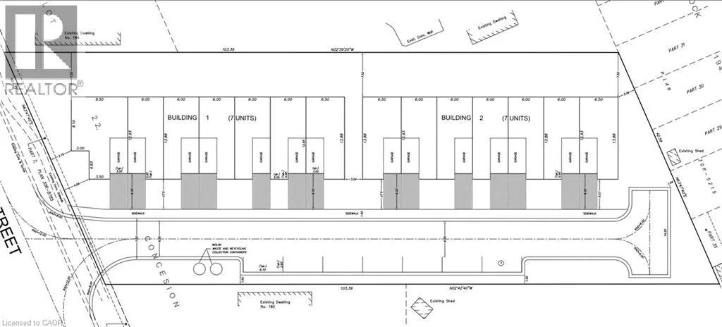
On the north side of Rykert St, east of Vansickle Rd, west of Louth St. 14-unit townhome development*, on 1 acre, on the West side of St. Catharines. 5 minutes to HWY 406, and 10 minutes to QEW. Zoned R1, permitting townhouses, private road projects, triplexes, duplexes, semi-detached, and detached developments. Its proximity to major HWY and amenities makes it a prime location for families and commuters. A growing population, zoning compliance and its level terrain make this a perfect opportunity for builders looking to start a project in the next 12 months*. *Pending site plan approval application. *The survey, concept plan, and pre-con notes are available upon request. (id:27476)

Property Highlights

MLS® Number
40770335
Type
Single Family
Ownership Type
Freehold
Land Size
1.004 ac|1/2 - 1.99 acres
Parking Space Total
3

Building

Building Type
House
Storeys
1.50
Square Footage
1800 sqft
Bathrooms Total
2
Bedrooms Above Ground
4
Bedrooms Total
4
Amenities
Schools
Exterior Finish
Stone, Vinyl siding
Fireplace Present
No
Basement Type
Partial (Unfinished)
Basement Features
Building Heating Type
Heating Fuel
Natural gas
Building Cooling Type
Central air conditioning

Utilities

Water
Municipal water
Utility Sewer
Municipal sewage system

Room Layout

Bedroom
Second level
12'4'' x 10'6''
Bedroom
Second level
11'4'' x 10'6''
Bedroom
Second level
11'4'' x 10'6''
Bedroom
Second level
13'8'' x 12'5''
5pc Bathroom
Second level
Measurements not available
3pc Bathroom
Main level
Measurements not available

Location