2707 Narrows Lock Road, Tay Valley, Ontario K7H 3C5

Listed for:
$149,900
0 beds
0 baths
Listed 455 days ago
2707 Narrows Lock Road, Tay Valley, Ontario K7H 3C5

View all 22 photos

Learn more about this property
Listing provided by:
REALTY EXECUTIVES REAL ESTATE LTD
MLS® number:
X9518536
Agent:
Kelly Blair
*Indicates required field
Name is required
Email is required
Please enter a valid phone number (e.g., 416-111-1111).

About

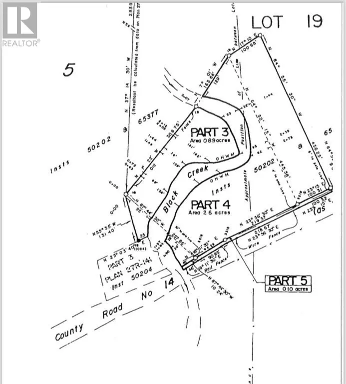
Narrows Lock Rd to Pin # 2707 Affordable Living! Private 3.7-Acre Lot with Creek and Swimming Hole Near Perth tucked just off Narrows Lock Road, this 3.7-acre property offers a beautiful views, peaceful, private retreat surrounded by nature. Black Lake Creek backs & winds through the lot, creating a natural swimming hole with crystal-clear water. Watch deer and other wildlife from your backyard as they visit the creek.The property backs onto untouched forest, ensuring no rear neighbors and adding to the sense of seclusion. Highlights include: Ultimate Privacy No visible neighbors on either side or across the road & Outdoor Paradise. Just minutes from Perth, with easy access to lakes, public boat launches, and snowmobile trails. Ready to Build your tiny home or dream home? Tay Valley allows for many options including trailers. Hydro at the lot line, driveway and civic address in place. Development-Ready. Septic and drilled well quotes available. Only 15 minutes from Perth, this lot offers the perfect combination of quiet country living and access to outdoor adventures. Ideal for nature lovers, weekend escapes, 4 wheeling, or building a home in a tranquil setting. (id:27476)

Property Highlights

MLS® Number
X9518536
Type
Vacant Land
Community Name
904 - Bathurst/Burgess & Sherbrooke (North Burgess) Twp
Land Size
413.9 FT ; 1|2 - 4.99 acres

Building

Square Footage
0 - 699 sqft
Amenities
Golf Nearby
Fireplace Present
No
Basement Type
Unknown (Unknown)
Basement Features
Unknown
Building Heating Type
Not known
Heating Fuel
Unknown
Building Cooling Type
Unknown

Utilities

Water
None

Location