89a Clinton Street, Toronto, Ontario M5G 2Y4

Listed for:
$990,000
0 beds
0 baths
Listed 115 days ago
89a Clinton Street, Toronto, Ontario M5G 2Y4

View all 1 photos

About

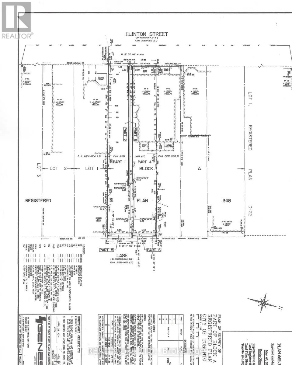
Cross Streets: College/Clinton. ** Directions: North of College/West of Bathurst St. Vacant Lot - Great Opportunity In Desirable Little Italy! 16 x 128 Foot Lot. Vacant & Unserviced Lot. Notice of Decision from Committee of Adjustment for lot severance and for a new three storey detached dwelling with two storey semi-detached laneway suite, in the rear yard. Laneway At Rear of Property. Buyer is responsible for development charges, servicing costs, obtaining building permits and all other costs and fees. HST is in addition to the purchase price. (id:27476)

Property Highlights

MLS® Number
C12486701
Type
Vacant Land
Community Name
Palmerston-Little Italy
Land Size
16.1 x 128 FT ; Irregular Shape

Building

Fireplace Present
No
Basement Type
Basement Features
Building Heating Type
Heating Fuel
Building Cooling Type

Location

Learn more about this property
Listing provided by:
REALTY LIFE LTD.
MLS® number:
C12486701
Agent:
Joseph Donato
*Indicates required field
Name is required
Email is required
Please enter a valid phone number (e.g., 416-111-1111).