Lot 55 Constance Boulevard, Wasaga Beach, Ontario L9Z 2Y3

Listed for:
$229,000
0 beds
0 baths
Listed 80 days ago
Lot 55 Constance Boulevard, Wasaga Beach, Ontario L9Z 2Y3

View all 6 photos

About

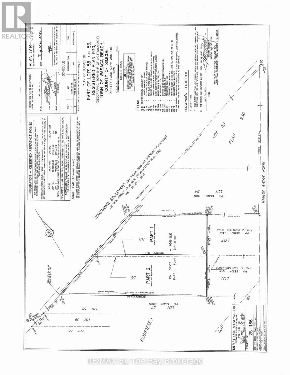
Cross Streets: Beachwood and Constance. ** Directions: Beachwood to Constance. Prime Building Lots in Wasaga Beach's Desirable West End. An exceptional opportunity to build your dream home or investment property in the highly sought-after west end of Wasaga Beach. These two newly created building lots are being offered for sale separately but are side by side, each with municipal water and sewer services available at the lot line. Located outside of the Nottawasaga Valley Conservation Authority jurisdiction, buyers will only require building permits through the Town of Wasaga Beach, simplifying the building process. A new survey dated 2025, Topographic Plan, Lot Grading & Drainage Plan is available for added confidence and clarity. Perfectly positioned just a short walk to public access at Georgian Bay, where you can enjoy peaceful waterfront views and sunsets. The world-famous sandy shores of Wasaga Beach are just a short drive away. The west end location offers quick access to Collingwood, Blue Mountain skiing, hiking and biking trails, golf, and the new Wasaga Beach casino. Whether you are looking to build a year-round home, weekend retreat, or investment property, these lots offer flexibility, convenience, and lifestyle all in one. Opportunities like this in the west end are limited - secure one or both lots and start planning your build today. (id:27476)

Property Highlights

MLS® Number
S12819322
Type
Vacant Land
Community Name
Wasaga Beach
Land Size
61.09 x 131.69 FT ; 47.74 x 131.69 x 61.09 x 92.13

Building

Fireplace Present
No
Basement Type
Basement Features
Building Heating Type
Heating Fuel
Building Cooling Type

Location

Learn more about this property
Listing provided by:
RE/MAX By The Bay Brokerage
MLS® number:
S12819322
Agent:
Jeff Mcinnis
*Indicates required field
Name is required
Email is required
Please enter a valid phone number (e.g., 416-111-1111).